В первой части статьи мы познакомились с техническими характеристиками, конструкцией и возможностями встроенного программного обеспечения сетевого накопителя QNAP TVS-863+.
Учитывая, что эта модель относится к классу SMB, а про мультимедийные приложения мы писали уже много раз, то мы рассмотрим в этот раз более подходящую и интересную для этого сегмента программу — Virtualization Station, а также проведем тестирование производительности устройства.
Станция виртуализации
Наличие большого объема оперативной памяти и относительно быстрого процессора позволяет производителю говорить о возможности запуска на сетевом накопителе виртуальных машин. Эта функция может быть востребована в некоторых сценариях для реализации специализированных серверов. Конечно, здесь надо отдавать себе отчет, что все-таки мы имеем дело не с высокопроизводительным сервером и говорить о запуске ресурсоемких приложений не стоит.
После установки модуля, основанного на известном продукте QEMU, при первом запуске система проверяет минимальные технические требования для его работы, включая версию прошивки (4.2 и выше) и объем оперативной памяти (не менее 2 ГБ). Далее вам предлагается выбрать место для хранения файлов виртуальных машин и сетевой интерфейс для них (выделенный или совмещенный с другими функциями). Отметим, что сервис работает не только в основном интерфейсе управления, но и на отдельном порту, что позволяет предоставить индивидуальный удаленный доступ к нему. В настройках сервиса можно изменить номера сетевых портов и место размещения файлов виртуальных машин.
В текущей версии программы реализована технология виртуальных сетевых коммутаторов, обеспечивающая высокую скорость сетевого обмена между виртуальными машинами. Он поддерживает соединения 10 Гбит/с, объединение портов и несколько конфигураций, включая мост с физическим сетевым адаптером и только внутреннюю сеть. При этом пользователь может создать сразу несколько подобных коммутаторов, что повышает гибкость организации сетевой подсистемы.
Для создания виртуальных машин можно использовать готовые шаблоны с указанием числа ядер, объема оперативной памяти и диска или же создать свои. Кроме того, предусмотрен импорт и экспорт виртуальных машин в популярных форматах, включая ova, ovf, qvm, vmx.
Также здесь можно увидеть пару ссылок на магазины готовых приложений в формате виртуальных машин — Vmware Virtial Applaince Marketplace и Bitnami.
Далее для каждой машины вы дополнительно указываете имя, тип операционной системы (поддерживаются Android и различные варианты Linux, Unix и Windows, включая Windows 10 и Windows Server 2012 R2), опциональный пароль, образ ISO для установки ОС, местоположение файла виртуального жесткого диска и сетевой коммутатор.
Настройки виртуальных аппаратных устройство достаточно интересны. Кроме описанных выше основных параметров, пользователь может гибко выбирать конфигурацию накопителей и сетевых адаптеров.
В частности, можно использовать несколько дисков, для каждого из них указывается тип контроллера (есть эмуляция IDE, SATA, SCSI и «родной» VirtIO, требующий установки драйвера в гостевой ОС) и режим кэширования. Для установки операционной системы пригодится эмуляция оптических накопителей из файлов ISO.
Сетевых контроллеров в виртуальной машине тоже может быть несколько. Как и с накопителями, есть выбор из нескольких вариантов эмуляции, включая Intel Gigabit Ethernet, Realtek Fast Ethernet и VirtIO (последний формально поддерживает 10 Гбит/с). Из дополнительных настроек есть только смена MAC-адреса.
Виртуальный графический адаптер представлен в трех версиях — VGA, Cirrus Logic и VMVGA.
Для удаленного подключения к рабочим столам виртуальных машин производитель рекомендует использовать клиентов VNC или SPICE, если вариант доступа через браузер с поддержкой HTML5 чем-то не устраивает. При необходимости можно закрепить определенный номер порта для VNC-клиента за конкретной виртуальной машиной и добавить пароль. Еще одной интересной возможностью является вывод рабочего стола виртуальной машины на подключаемый к сетевому накопителю по интерфейсу HDMI монитор. Конечно, такой сценарий может работать только с одной виртуальной машиной в каждый момент времени.
Система поддерживает эмуляцию портов USB, при этом можно использовать и версию 3.0 этого интерфейса. Правда, для некоторых старых операционных систем может потребоваться драйвер. Данная возможность позволяет транслировать подключенные к сетевому накопителю внешние устройства в виртуальные машины, что может быть полезно для специализированного оборудования и, например, USB-ключей.
Используемые виртуальными машинами устройства представлены в разделе «Управление устройствами». Здесь вы можете оперативно оценить параметры образов жестких дисков, сетевых контроллеров и USB-устройств. При этом некоторые можно и изменить, например размер жесткого диска.
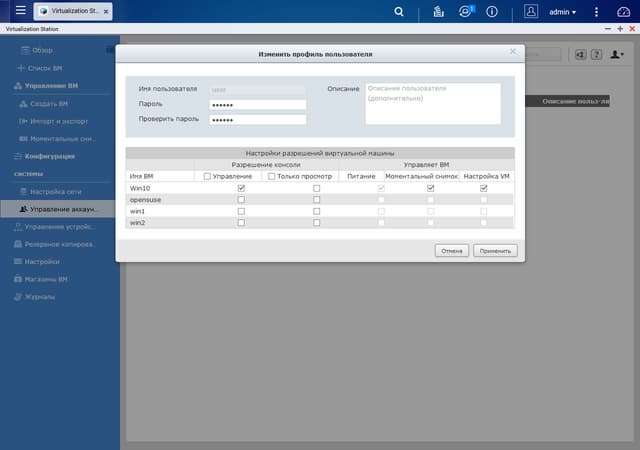
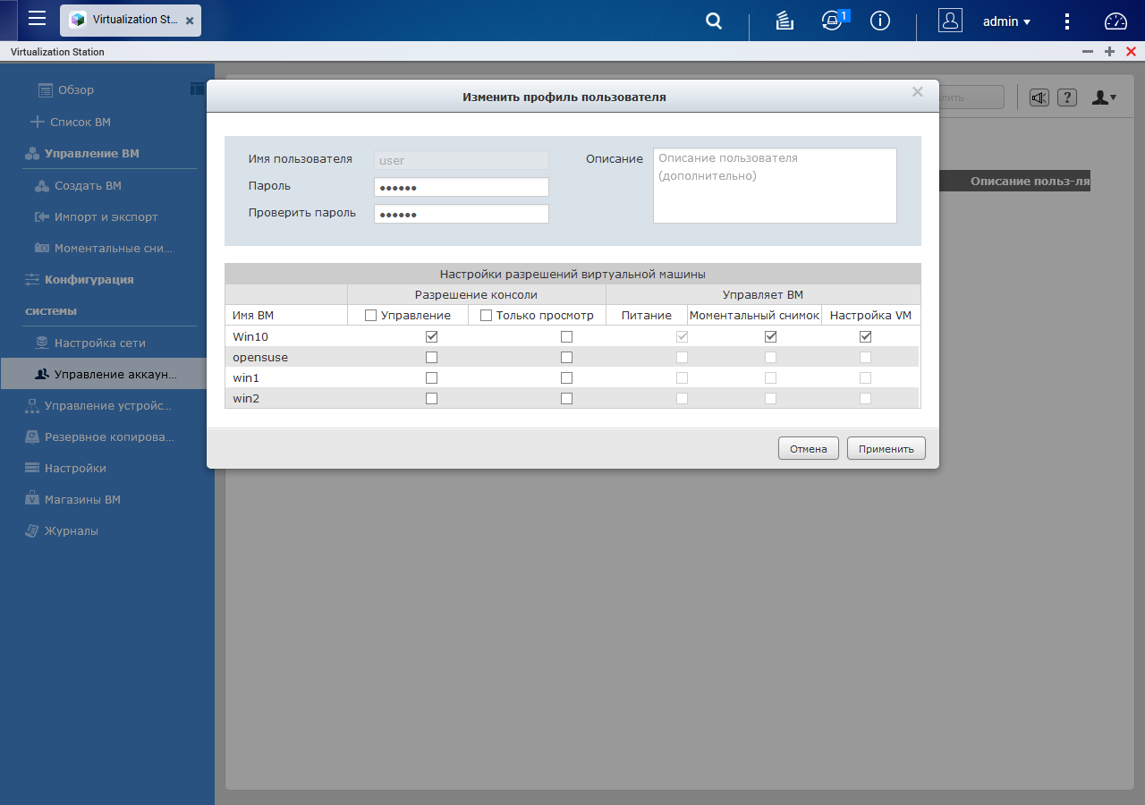
Возможности контроля доступа к виртуальным машинам включают в себя составление собственного списка пользователей сервиса и прав для них: просмотр консоли, управление питанием, создание и восстановление моментальных снимков, настройка виртуальной машины.
В системе предусмотрена работа с моментальными снимками виртуальных машин, а также их резервное копирование и восстановление (в том числе и на другой накопитель по сети).
На странице «Обзор» вы видите информацию о текущей загрузке ресурсов сетевого накопителя, а также данные о виртуальных машинах и их активность. Здесь же предусмотрены кнопки управления ими. Отметим, что сервис имеет собственный журнал событий. В некоторых ситуациях может пригодиться поддержка автозапуска виртуальных машин при включении сетевого накопителя.
Для оценки производительности виртуальных машин мы провели несколько тестов. В качестве гостевых ОС использовалась 32-битная версия Windows 8.1. На каждую машину выделялось два ядра и 2 ГБ оперативной памяти. Объем жесткого диска составлял 80 ГБ. Сетевой и дисковый контроллеры использовали режим VirtIO и соответствующие драйверы. Конфигурация дискового массива сетевого накопителя — 8 дисков в RAID5.
Первый тест — Futuremark PCMark7 отражает не самый характерный сценарий, но все-таки позволяет подтвердить, что графический интерфейс не является сильной стороной решения. Для сравнения в таблице приводятся результаты Intel Compute Stick на базе процессора Atom прошлого поколения.
| Сценарии PCMark 7 | Виртуальная машина | Intel Compute Stick |
| PCMark score | 941 | 2395 |
| Lightweight | 1613 | 2339 |
| Productivity | 1578 | 1807 |
| Entertainment | 383 | 1579 |
| Creativity | 2263 | 4786 |
| Computation | 2036 | 4570 |
| System Storage | 2226 | 4096 |
Комментировать здесь особо нечего. Нет сомнения в том, что подобные цифры обусловлены отсутствием ускорения графического контроллера и медленным центральным процессором.
Теперь сравним скорость работы с диском из гостевой ОС. На графике представлены результаты работы с драйверами SATA и VitrIO, а также внешнего диска USB 3.0 в четырех сценариях из нашего стандартного набора.

В целом все не так уж и плохо. Некоторые микроПК имеют даже менее быстрые флэш-накопители. Порадовала и эмуляция USB 3.0. Отметим, что тестовый диск был способен показать примерно вдвое более высокие результаты при прямом подключении к компьютеру.
Вторая группа тестов поможет определить сетевые возможности продукта. На графике приводятся показатели при обмене данными между двумя виртуальными машинами внутри сетевого накопителя и виртуальной машиной с внешним обычным компьютером.

Как мы видим, в первом случае, несмотря на формальные 10 Гбит/с в свойствах сетевых адаптеров, реальная скорость соответствует скорее гигабитному подключению. Вторая пара показывает близкие результаты. Попытка организовать работу с внешней системой по соединению 10 Гбит/с оказалась безуспешной. Устройства без каких-либо поводов прекращали обмениваться информацией через пару минут после начала теста.
Проверка работы сервиса показала, что в целом эта схема вполне работоспособна. Однако из-за относительно небыстрого центрального процессора, отзывчивость виртуальных машин и интерфейса управления сложно назвать комфортными.
Данное решение можно использовать для каких-то простых серверов, не требующих вычислительных ресурсов, а вот интерактивная работа с современными графическими операционными системами будет неудобна.
Правда в данном случае может быть более удобным работать с модулем Container Station, который поддерживает технологии виртуализации LXC и Docker.
Прямо в модуле есть ссылки на каталоги готовых контейнеров и устанавливаются они очень просто и быстро. В результате вы можете получить готовый рабочий стол с браузером и офисным пакетом буквально за несколько минут.
Тестирование
Прежде всего, хотелось бы сделать одно замечание. Рассматриваемая модель сетевого накопителя относится к сегменту SMB и рассчитана на определенный тип задач, который мы не сможем полностью проверить по техническим причинам. В частности, эмулировать одновременную работу большого числа клиентов достаточно сложно. Кроме того, определенные сценарии использования накопителя, учитывая его широкие возможности, имеет смысл рассматривать на конкретных задачах пользователя. Конечно некоторые синтетические тесты, например IOMeter, позволяют достаточно гибко настраивать шаблоны доступа, однако и программное обеспечение тоже часто имеет возможность тюнинга для оптимизации использования ресурсов. Так что раздувать статью большим количеством графиков в данном случае не имеет смысла, поскольку эта информация мало кому будет интересна с практической точки зрения.
В первой группе тестов мы проверили скорость работы с файлами по сети с подключением по гигабитному и десятигигабитному интерфейсам. В первом случае работа осуществлялась через сетевой коммутатор, во втором — клиент с установленной сетевой картой Intel X540-T1 подключался к сетевому накопителю напрямую.
Были проверены две конфигурации дисковых массивов — RAID0 и RAID5 из восьми винчестеров (четыре модели Seagate Enterprise Capacity 3.5 HDD и еще четыре Seagate Desktop HDD) по 4 ТБ. Как мы уже неоднократно говорили, для большинства современных сетевых накопителей гигабитный сетевой интерфейс выступает ограничителем максимальной скорости. Это более чем справедливо и для рассматриваемого в этой статье устройства.

Производительность в данном режиме, как и ожидалось, не превышает 120 МБ/с. Частично эту ситуацию можно исправить одновременным использованием двух сетевых интерфейсов с распределением клиентов или объединением портов. Однако это не позволяет ускорить работу одного конкретного клиента, как мы уже видели в одном из прошлых материалов.

Совсем другая картина наблюдается при соединении 10 Гбит/с. Здесь максимальная скорость чтения с массивов превышает 500 МБ/с, а запись может осуществляться на скорости около 300 МБ/с. Причем такие показатели достижимы и на одном отдельном клиенте. Эти цифры вполне сравнимы с работой современных SSD с локальным подключением. Впрочем, не забываем, что последние обеспечивают существенно более высокие показатели в случайных операциях. Кроме того, стоимость подобной реализации сетевого подключения высока — сетевой адаптер для клиента стоит около 25 тысяч рублей, не говоря уже о коммутаторе, необходимом для подключения нескольких устройств. Впрочем, если требовательных клиентов только один или два, можно реализовать для них выделенное соединение, используя на устройстве соответствующую дополнительную сетевую карту.
Вторая группа тестов поможет оценить скорость работы при подключении по протоколу iSCSI. Впрочем, как мы говорили выше, данный сценарий существенно зависит от особенностей программного обеспечения на клиенте. Мы проверяли монтирование блочного тома в операционной системе Windows 8.1 и работу с ним как с локальным диском с файловой системой NTFS. Тогда как чаще iSCSI используется в решениях, связанных с виртуализацией.


Результаты близки к сценарию работы с протоколом SMB. Отметим только, что при подключении по 10 Гбит/с использование iSCSI обеспечивает более быструю запись, но чтение осуществляется немного медленнее.
Очень важную роль в данном случае играют согласования размеров блоков во всей цепочке — от винчестера до приложения. И конечно в случае высоких требований к пропускной способности или другим характеристикам вам потребуется настраивать параметры для повышения эффективности в конкретных приложениях. Отметим, что сам сетевой накопитель в данном случае имеет достаточно ограниченные возможности. В частности, размер блока RAID массивов выбрать невозможно. Например, в наших тестах для RAID5 система использовала значение 512 КБ.
Следующая группа тестов поможет нам оценить энергопотребление и температурный режим устройства. Как мы уже писали ранее, накопитель построен на достаточно мощной платформе, так что по сравнению с моделями начального уровня потребление в простое у него должно быть выше. Что касается системы охлаждения, то мы использовали режим автоматической регулировки скорости работы вентиляторов. При этом они во время тестов обычно работали на скоростях 500-600 об/мин, а уровень шума был незначительным для дневной офисной обстановки. Впрочем, ставить сетевой накопитель такого уровня в обычном помещении не стоит по другим причинам.
Для тестирования использовались указанные выше жесткие диски в конфигурации RAID5. На следующем графике приводятся результаты измерения среднего энергопотребления «из розетки» при прогоне нашего набора тестов, а также в режимах бездействия и сна.

Как мы видим, во время работы устройство потребляет 100-110 Вт, что относительно немного, учитывая количество и объем установленных дисков. Отсутствие нагрузки снижает показатель до 97 Вт, а режим сна — до 57 Вт.
Для проверки температурного режима мы использовали два сценария — бездействие и работа. В первом случае накопитель с отключенным режимом сна дисков оставался без активности около часа после включения, во втором мы прогнали наш полный набор шаблонов. На графике представлены максимальные результаты температуры для указанных сценариев. Температура окружающей среды составляла примерно 21 градус. Скорость вращения вентиляторов не превышала 620 об/мин. В первые четыре отсека устанавливались диски Seagate Enterprise Capacity 3.5 HDD, а во вторые четыре — Seagate Desktop HDD. Использовалась конфигурация тома RAID5 из восьми дисков.

Разница между разными моделями винчестеров вполне ожидаема. Что касается общей эффективности системы охлаждения, то она показала себя неплохо. Только два диска Enterprise Capacity 3.5 HDD превысили порог в 50 градусов. Вполне вероятно, что при установке сразу восьми таких винчестеров, ситуация может быть хуже. Впрочем, не забывайте об автоматической системе регулировки оборотов вентиляторов и о том, что данные модели жестких дисков уже не молодые, а также имеют официальный диапазон рабочих температур до 60 градусов.
Как мы писали выше, вариантов использования рассматриваемой модели слишком много, и мы не можем рассмотреть даже основные из них в одной этой статье. Тем не менее, мы все-таки решили провести пару дополнительных тестов для исследования работы сетевого накопителя в составе системы виртуализации.
Для этого на одной из тестовых систем был установлен Microsoft Windows Server 2012 R2 и к нему подключался том iSCSI, расположенный на массиве RAID0 из указанных ранее восьми дисков. После этого, том форматировался в файловую систему NTFS. Поскольку серверные версии ОС часто более требовательны к используемому оборудованию и встроенные сетевые контроллеры обычных материнских плат могут не иметь необходимых драйверов, нам пришлось для обеспечения двух одновременных сетевых подключений установить на сервер двухпортовый сетевой адаптер 10 Гбит/с D-Link DXE-820T.
На следующем графике приводятся результаты, позволяющие оценить эффективность использования технологии Windows Offloaded Data Transfer (ODX), которая поддерживается QNAP TVS-863+. Она позволяет в некоторых случаях существенно ускорить выполнение определенных операций, связанных с копированием или перемещением больших объемов информации внутри сетевого накопителя путем исключения из процесса ресурсов сервера и сети. В нашем случае, тест заключался в копировании файла объемом около 5 ГБ (ISO образ Windows Server 2012 R2) из одной папки описанного тома в другую с использованием поддерживающей технологию ODX утилиты robocopy.

Как мы видим, ODX действительно обеспечивает указанные преимущества. При использовании гигабитного подключения к хранилищу, затраты времени на перенос данных в пять раз меньше, чем при работе в традиционном режиме, а формальная скорость в данной операции составляет почти 300 МБ/с. Несмотря на более высокую скорость сети 10 Гбит/с, и для нее есть смысл в работе с ODX — обеспечивается рост производительности более чем в два раза.
Не менее существенным является и то, что благодаря ODX существенно снижается нагрузка на процессор и сетевые соединения сервера. Можно даже сказать, что адаптеры совсем не участвуют в процессе — по данным мониторинга операционной системы их загрузка составляла менее 10%. Справедливости ради стоит отметить, что данная технология не является универсальным решением, подходящим для всех случаев и конфигураций. Подробнее о ней и ее особенностях можно прочитать в статьях базы знаний Microsoft: 1 и 2.
Последний тест в данной статье — проверка скорости доступа к диску из виртуальной машины. На сервере мы добавили роль Hyper-V и запустили в нем гостевую ОС Windows 8.1. В ней мы подключили второй (в дополнение к системному) виртуальный диск, расположенный в файле на подключенном на скоростях 1 и 10 Гбит/с по протоколу iSCSI к серверу томе.


Для сравнения мы добавили на график полученные ранее результаты работы с томом iSCSI из «настоящей» Windows 8.1. На скорости подключения 1 Гбит/с разница ожидаемо практически отсутствует, а на 10 Гбит/с в большинстве шаблонов она относительно невелика. Единственное, что труднее дается виртуальной системе во втором случае — потоковое чтение одновременно нескольких файлов. В целом, можно отметить, что данный сценарий не будет оказывать существенного негативного влияния в требовательных к скорости работы диска приложениях при переносе их в виртуальную машину.
Безусловно, тематика работы в системах виртуализации сегодня очень интересна и мы постараемся продолжить наши исследования в этой области, однако очень хотелось бы найти популярные и востребованные большим числом специалистов сценарии, а не тратить время на бесконечные синтетические тесты.
Заключение
QNAP TVS-863+ представляет собой универсальный многофункциональный сетевой накопитель класса SMB. Устройство использует знакомый по другим моделям формат корпуса, рассчитанный на установку на столе и не требующий стойки. При этом производителю удалось обеспечить комфортный температурный режим системы без повышения уровня шума. Так что устройство вполне можно использовать и в небольших филиалах, где требуется система хранения подобного масштаба.
Сетевой накопитель использует платформу AMD, что достаточно редко встречалось нам ранее. Оно оборудовано четырехядерным процессором, штатно имеет 16 ГБ оперативной памяти и три сетевых интерфейса — два гигабитных и один десятигигабитный, реализованный отдельным контроллером. Также стоит отметить наличие портов USB 3.0, которые можно использовать в том числе и для увеличения объема хранимых данных с помощью специальных фирменных модулей. Кроме того, модель оборудована портом HDMI, что может быть востребовано в определенных сценариях использования устройства.
В данном тестировании мы познакомились с обновленной версией встроенного программного обеспечения QTS 4.2. На наш взгляд, интерфейс настройки стал более строгим и удобным. Существенно расширился набор штатных функций, особенно востребованных в бизнес-сегменте. В частности, устройство поддерживает все популярные протоколы доступа к данным, гибкую конфигурацию дисковых томов и томов iSCSI, моментальные снимки, виртуальные машины, LXC и Docker, а также имеет встроенную систему синхронизации и резервного копирования с поддержкой облачных сервисов. Сетевой накопитель способен выступать в роли небольшого сервера, благодаря широкому набору дополнительных сервисов, включая систему видеонаблюдения, серверы VPN, LDAP, RADIUS.
Возможность работы с сетевым подключением 10 Гбит/с позволяет увеличить скорость сетевого доступа до 300-500 МБ/с против стандартных 100-120 МБ/с на гигабитном соединении в зависимости от сценария. Конечно, для модели этого уровня очень желательно использовать именно этот вариант или хотя бы режим объединения гигабитных портов.
Проверка сценария запуска на устройстве виртуальных машин показала, что в целом он работоспособен, а ограничением производительности здесь выступает мощность центрального процессора сетевого накопителя. Так что с традиционными рабочими столами работать будет не очень комфортно, а вот реализовать специализированные сервисы таким способом вполне возможно.
Будет полезна модель и в качестве внешнего хранилища большого объема для серверов виртуализации. В частности, отметим поддержку решений VMware, Microsoft и Cirtix. При этом реализация специализированных технологий и API существенно повышает эффективность работы в этом сценарии.
Уже ставшей привычной «бочкой дегтя» выступает стоимость продукта. На момент подготовки статьи она составляла более 160 тысяч рублей. Впрочем, надо отдавать себе отчет в том, что в этом сегменте ценообразование существенно отличается от более близкого к тематикам нашего ресурса рынка DIY, и оценивать «только железо» в данном случае некорректно.
| Средняя цена QNAP TVS-863+ по данным Яндекс.Маркет |
| T-12580848 |
| Предложения QNAP TVS-863+ по данным Яндекс.Маркет |
| L-12580848-10 |












