Паспортные характеристики, комплект поставки и цена
| Тип матрицы | ЖК-панель IPS со светодиодной (WLED) краевой подсветкой |
|---|---|
| Диагональ | 68,47 см (27 дюймов) |
| Отношение сторон | 16:9 (596,16×335,34 мм) |
| Разрешение | 3840×2160 пикселей (4К) |
| Шаг пикселей | 0,15525 мм |
| Яркость | 350 кд/м² типично, пиковая — 400 кд/м² |
| Контрастность | типично 1000:1 |
| Углы обзора | 178° (гор.) и 178° (верт.) до контраста ≥ 10:1 |
| Время отклика | 4 мс (от серого к серому — GTG), 1 мс (MPRT) |
| Количество отображаемых цветов | 16,7 млн |
| Интерфейсы |
|
| Совместимые видеосигналы | DisplayPort — до 3840×2160/144 Гц (Отчет MonInfo) HDMI — до 3840×2160/60 Гц (Отчет MonInfo) |
| Акустическая система | отсутствует |
| Особенности |
|
| Размеры (Ш×В×Г) | 634×(437—557)×270 мм с подставкой 634×381×94 мм без подставки |
| Масса | 7,5 кг с подставкой |
| Потребляемая мощность | менее 90 Вт, менее 0,5 Вт в режиме ожидания и в выключенном состоянии |
| Напряжение питания (внешнего БП) | 100—240 В, 50—60 Гц |
| Комплект поставки (необходимо уточнять перед покупкой) |
|
| Ссылка на сайт производителя | Asus ROG Strix XG27UQ |
| Розничные предложения |
Внешний вид
Монитор выполнен в узнаваемом стиле игровых мониторов серии ROG компании Asus. Панели и кожухи блока экрана изготовлены из темно-темно-серого (почти черного) пластика, в основном с матовой поверхностью, местами с мелкой рельефной фактурой и геометрическим узором, но есть и небольшие детали с зеркально-гладкой поверхностью. Внешняя поверхность матрицы черная, полуматовая (зеркальность хорошо выражена), внешний слой матрицы жесткий. Внизу по центру фронтальной рамки — блестящий логотип.
Справа в нижней части фронтальной рамки нанесены неконтрастные значки кнопок.
Сами кнопки расположены на задней панели напротив меток. Верхняя кнопка представляет собой 5-позиционный джойстик, а форма других кнопок чередуется.
В нижнем правом углу уже на нижнем торце блока экрана находится индикатор состояния, практически невидимый спереди. Все интерфейсные разъемы и разъем питания расположены в нише на задней панели и ориентированы вниз. Подключив все, что нужно, нишу можно закрыть крышкой, и тогда дизайн задней панели будет восстановлен до первоначального замысла разработчиков.
Также на задней панели можно обнаружить разъем для кенсингтонского замка. В нише с разъемами, на задней панели, на нижнем и на верхнем торцах есть вентиляционные решетки.
Штатная подставка поддерживает дизайн задней панели. Отметим, что все несущие элементы подставки металлические (сталь или алюминиевый сплав), частично они скрыты за кожухами из пластика. Основной цвет подставки — все тот же темно-темно-серый, а для контраста используются вставки из пластика с серебристо-красным покрытием, совпадающие по цвету с джойстиком. Подставка позволяет блок экрана немного наклонить вперед, отклонить назад, приподнять, повернуть вправо-влево и перевернуть в портретную ориентацию по часовой стрелке.


Три ноги подставки широко разнесены и опираются на небольшие пятачки с резиновыми накладками.
Монитор стоит на подставке очень устойчиво. Конструкция подставки достаточно жесткая. Узел крепления блока монитора перемещается по стойке вверх/вниз на стальных шарикоподшипниковых направляющих. Кабели, идущие от разъемов монитора, можно провести через отверстие в нижней части стойки. При необходимости подставку можно отсоединить и закрепить блок экрана на VESA-совместимом кронштейне (площадка 100 на 100 мм, нужно использовать комплектные стойки).
На верхнем торце стойки есть вставка из прозрачного пластика с трафаретным изображением логотипа ROG. В нижний торец стойки встроена светодиодная подсветка красного свечения. Она проецирует на поверхность стола, на котором стоит монитор, замысловатый рисунок с логотипом ROG или то, что нарисовал пользователь. Один светодиод закрывается крышкой, со сменными круглыми вставками.


Вставок всего три.
Две с логотипом ROG и просто прозрачная, на которой пользователь может нарисовать что-то свое. В меню можно выбрать яркость этой подсветки или отключить ее совсем (настройка Свет в движении).
Работу этой подсветки демонстрирует видео ниже:
Но это еще не все, большой полупрозрачный зеркальный логотип на задней панели изнутри подсвечивается несколькими RGB-светодиодами. Для этой подсветки в меню монитора можно выбрать несколько статичных и динамических многоцветных вариантов свечения.
При подключении монитора к компьютеру по USB управлять подсветкой можно с помощью приложения Aura Sync Lighting Control. На практике мы это не проверили, так как это приложение отказалось запускаться на двух из опробованных ПК. Варианты подсветки, которые можно задать с помощью меню монитора, демонстрирует видео ниже:
Продается монитор в не очень большой стильно оформленной коробке с прорезными ручками по бокам и пластиковой сверху.
Коммутация
Видеовходов четыре — по паре HDMI версии 2.0 и DisplayPort версии 1.4. Из них только DisplayPort поддерживает на вход сигнал с максимальными для этого монитора разрешением и частотой кадров, а также работу в режиме Nvidia G-Sync Compatible. Входы выбираются в меню, кроме того, в случае отсутствия сигнала на текущем входе срабатывает автоматический выбор активного входа. Входы HDMI и DisplayPort способны принимать цифровые аудиосигналы (только PCM стерео), которые выводятся после преобразования в аналоговый вид через гнездо миниджек 3,5 мм. К аналоговому аудиовыходу можно подключить внешнюю активную акустическую систему или наушники. Мощности выхода на наушники хватило, чтобы в 32-омных наушниках с чувствительностью 92 дБ громкость была достаточной, но ее запаса нет. Качество звука в наушниках хорошее — звук чистый, воспроизводится широкий диапазон частот и в паузах шума не слышно. В монитор встроен концентратор USB (3.0) с одним входом и двумя выходами (его можно отключить для режима ожидания). Блок питания внешний. В этом есть как свои плюсы (легкая замена в случае выхода из строя), так и минусы (он очень мешается).
Меню, управление, локализация, дополнительные функции и ПО из комплекта
Индикатор состояния неяркий. Он светится белым при работе монитора, оранжевым в режиме ожидания и не горит, когда монитор условно выключен. Индикатор отключается в меню. Навигация по меню удобная, списки зациклены, еще больше удобство повышается за счет джойстика. Если монитор работает, и на экране нет меню, то при первом нажатии (отклонение игнорируется) на джойстик выводится основное меню, а при нажатии на кнопку с крестиком выводится только короткое меню из значков-подсказок напротив кнопок.
Подсказки нам говорят: джойстик — вход в меню и манипуляции с ним, кнопка ниже — выход из пункта/меню/отмена режима, еще ниже — две кнопки вызова двух функций, которые выбирает пользователь из списка в меню:
Самая нижняя кнопка — это кнопка питания. Работу всех кнопок или только кнопки питания можно заблокировать в меню. Основное меню большое. Размеры текста в меню обеспечивают приемлемую читаемость. При настройке изображения меню остается на экране, что немного мешает оценке вносимых корректировок. Настраивается прозрачность фона и задержка автоматического выхода из меню. Настройки монитора можно сохранить в одном из четырех профилях. Присутствует русская версия экранного меню. Кириллический шрифт достаточно ровный и читаемый. Качество перевода на русский язык хорошее, но местами есть странности. На сайте компании мы нашли ссылки на программы Asus Aura Sync и Asus DisplayWidget, драйвер монитора и на полные версии руководства в виде PDF-файлов (русская версия присутствует). Программа Asus DisplayWidget позволяет настраивать монитор с компьютера.
Интересной функцией данной программы является привязка профиля (режима) монитора к текущему приложению:
Также программа помогает распределять окна на рабочем столе:
Позволяет настраивать сочетания горячих клавиш:
Дает доступ к ряду дополнительных функций:
Из дополнительных возможностей в наборе GamePlus присутствуют четыре «геймерские» функции: вывод на экране прицела выбранной формы, таймера с обратным отсчетом от фиксированных значений, счетчика частоты кадров (с графиком или без) и меток для выравнивания установленных встык мониторов.
Прицел, таймер и счетчик можно перемещать по экрану, но одновременно выводится только что-то одно.
Изображение
Настроек не очень много, есть регулировки яркости, контрастности и насыщенности, а также выбор цветового профиля из трех предустановленных или пользовательского, в котором цветовой баланс можно подправить регулировками интенсивности трех основных цветов, и профиля гамма-коррекции.
Если отдельная настройка, регулирующая интенсивность синей компоненты. Картинка и доступность настроек зависят от выбранного профиля в списке GameVisual.
Дополнительно можно управлять разгоном матрицы, включать/выключать функции адаптивной регулировки яркости подсветки, выбирать профиль коррекции темного участка гамма-кривой и включать режим вставки темного кадра.
Изменения автоматически сохраняются в текущем профиле. Режимов геометрической трансформации два: принудительное растягивание картинки на всю площадь экрана или вывод в формате 4:3.
В случае DisplayPort и профессиональной видеокарты поддерживается работа в режиме 10 бит на цвет, но вывод на экран монитора происходит в режиме 8 бит на цвет.
В данном мониторе реализована поддержка технологии Adaptive-Sync (FreeSync) по входам DisplayPort и HDMI. Диапазон поддерживаемых частот, который можно подсмотреть на панели настроек видеокарты, равен 48—144 Гц для DisplayPort и 48—120 Гц для HDMI. Для визуальной оценки мы использовали описанную в указанной статье тестовую утилиту. Результат неоднозначный, так как ожидаемой плавности мы не получили, но в нашей тестовой программе частота точно подстраивается — это видно по счетчику частоты кадров монитора.
С видеокартами Nvidia этот монитор поддерживает G-Sync в режиме G-Sync Compatible (сертификат скоро должен быть получен), но только по входам DisplayPort. Для проверки мы использовали утилиту G-Sync Pendulum Demo — режим G-Sync включается, а эффект от включения именно тот, что и должен быть.
При подключении к компьютеру по DisplayPort поддерживалось разрешение до 3840×2160 при 144 Гц кадровой частоты на вход, и вывод изображения на экран также осуществлялся с этой частотой. В случае HDMI — до 3840×2160 при 60 Гц, а максимальную частоту обновления в 120 Гц можно получить в разрешении 2560×1440.


Столь высокое разрешение и частота обновления при подключении по DisplayPort с сохранением цветовой четкости реализуются с использование сжатия потока без потерь по технологии DSC (Display Stream Compression).
Заявлено, что данный монитор соответствует требованиям DisplayHDR 400 и присутствует в списке сертифицированных. Одним из критериев соответствия является долговременная яркость не ниже 400 кд/м² при выводе белого прямоугольника площадью 10% на черном фоне или кратковременное повышение яркости до этого же значения при выводе белого поля во весь экран после 10 секунд вывода черного поля во весь экран. Чтобы исключить влияние нашего выбора тестовых приложений и изображений, а также сочетания настроек монитора, мы решили воспользоваться официальной программой DisplayHDR test tool, которой предлагает пользоваться организация VESA для проверки соответствия устройств отображения критериям сертификатов. При использовании этой программы вариация условий практически исключается, так как достаточно следовать инструкциям-подсказкам. В частности, настройки монитора должны быть сброшены на значения по умолчанию, что мы и сделали. Результат отличный: специальный тестовый градиент показал наличие 10-битного вывода (видимо, используется динамическое смешение цветов). Как на белом поле во весь экран, так и в тесте с выводом 10% белого на черном фоне удалось получить не менее 525 кд/м². Таким образом, по крайне мере по максимальной яркости и по количеству градаций оттенков данный монитор соответствует критериям DisplayHDR 400. Отметим, что только в режиме HDR работает неотключаемая локальная подстройка яркости подсветки вертикальными зонами.
Кинотеатральные режимы работы тестировались при подключении к Blu-ray-плееру Sony BDP-S300. Проверялась работа по HDMI. Монитор воспринимает сигналы 576i/p, 480i/p, 720p, 1080i и 1080p при 50 и 60 кадр/с. 1080p при 24 кадр/с также поддерживается, и кадры в этом режиме выводятся с равной длительностью. В случае чересстрочных сигналов картинка просто выводится по полям. Тонкие градации оттенков различаются как в светах, так и в тенях (при Контрастность = 79; завалом на один оттенок в тенях можно пренебречь). Яркостная и цветовая четкости очень высокие. Интерполяция низких разрешений к разрешению матрицы выполняется без значимых артефактов. В случае HD-сигналов оверскана нет.
Матовость поверхности матрицы позволяет работать с комфортом в случае типичного варианта расположения монитора (на столе), пользователя (на стуле перед монитором) и светильников (на потолке) в помещении. Заметного «кристаллического» эффекта нет, но едва видимая вариация яркости и цветового тона в масштабе пикселей присутствует.
Тестирование ЖК-матрицы
Микрофотографии матрицы
Изображение структуры пикселей из-за матовой поверхности чуть размыто, но IPS распознать можно:
Фокусировка на поверхности экрана выявила хаотично расположенные микродефекты поверхности, отвечающие собственно за матовые свойства:
Зерно этих дефектов в несколько раз меньше размеров субпикселей, поэтому фокусировка на микродефектах и «перескок» фокуса по субпикселям при изменении угла зрения выражены слабо, из-за этого нет и «кристаллического» эффекта.
Оценка качества цветопередачи
Для оценки характера роста яркости на шкале серого мы измерили яркость 17 оттенков серого при выборе различных значение параметра Гамма:

Значения показателей аппроксимирующей функции приведены в скобках в подписях, там же — коэффициент детерминации, чем он выше, тем ближе реальная кривая к степенной функции. Далее мы измерили яркость 256 оттенков серого (от 0, 0, 0 до 255, 255, 255) для случая Гамма = 2.2. График ниже показывает прирост (не абсолютное значение!) яркости между соседними полутонами:

Рост прироста яркости более-менее равномерный, и каждый следующий оттенок ярче предыдущего. В тенях различаются все оттенки, что в случае игрового монитора особенно хорошо:

Аппроксимация полученной гамма-кривой дала показатель 2,12, что очень близко к стандартному значению 2,2. При этом аппроксимирующая степенная функция мало отклоняется от реальной гамма-кривой:

Различимость градаций в тенях можно повысить, увеличив значение настройки Shadow Boost (Уровень1—3). При этом выполняется какое-то динамическое изменение гамма-кривой, что проявляется в виде «пилы» на графике зависимости яркости от оттенка при выводе полей во весь экран:

На статичных градиентах такого нет.
Для оценки качества цветопередачи использовали спектрофотометр i1Pro 2 и комплект программ Argyll CMS (1.5.0).
Цветовой охват гораздо шире sRGB и близок к DCI:

В мониторе есть профиль sRGB, включение которого корректирует охват до границ соответствующего пространства:

Однако, при выборе этого профиля блокируются почти все настройки, относящиеся к яркостному и цветовому балансу, недоступна даже настройка яркости подсветки, что уж совсем странно. При этом яркость на белом поле составляет всего 192 кд/м². К сожалению, нет настройки, с помощью которой можно было бы просто включить режим с охватом sRGB, независимо от выбранного профиля. Но можно хотя бы снизить насыщенность цветов настройкой Насыщенность, что пригодится при просмотре контента с охватом sRGB, в случаях, если нужен другой уровень яркости. Ниже приведен наилучший с нашей точки зрения результат (Насыщенность = 32):

Получившийся охват близок к sRGB, но все же от него отличается. В случае работы, требовательной к качеству цветопередачи, без профилирования монитора и использования системы управления цветом не обойтись.
Ниже приведен спектр для белого поля (белая линия), наложенный на спектры красного, зеленого и синего полей (линии соответствующих цветов), когда нет корректировки цветового охвата

По тому, насколько пики узкие, можно предположить, что в светодиодах подсветки применяется синий, зеленый и красный излучатель.
В случае с корректировкой цветового охвата до sRGB компоненты уже в значительной степени подмешиваются друг к другу.

К каждому монитору прилагается отчет о выполненной на заводе калибровке:
Цветовой баланс просто при выборе профиля Пользовательский для настройки Цветовой режим приемлемый, но все равно мы попытались вручную скорректировать баланс цветов, регулируя усиление трех основных цветов. Графики ниже показывают цветовую температуру на различных участках шкалы серого и отклонение от спектра абсолютно черного тела (параметр ΔE) в случае профиля профиля Пользовательский с настройками по умолчанию (это самый яркий и контрастный вариант настроек), после ручной коррекции (84/100/95 для настроек R/G/B) и при выборе профиля sRGB:


Самый близкий к черному диапазон можно не учитывать, так как в нем цветопередача не так важна, а погрешность измерения цветовых характеристик высокая. Ручная коррекция уменьшила значение ΔE и на белом поле цветовая температуры стала ближе к стандартным 6500 К, но с практической точки зрения и с учетом игрового предназначения монитора особой необходимости в такой коррекции нет. Встроенный профиль sRGB характеризуется достаточно хорошим цветовым балансом, чтобы в большинстве случаев его можно было использовать, например, при просмотре кино.
Измерение равномерности черного и белого полей, яркости и энергопотребления
Измерения яркости проводились в 25 точках экрана, расположенных с шагом 1/6 от ширины и высоты экрана (границы экрана не включены, настройки монитора установлены в значения, обеспечивающие максимальную яркость и контрастность при сохранении приемлемого качества изображения). Контрастность вычислялась, как отношение яркости полей в измеряемых точках.
| Параметр | Среднее | Отклонение от среднего | |
|---|---|---|---|
| мин., % | макс., % | ||
| Яркость черного поля | 0,46 кд/м² | −5,8 | 4,3 |
| Яркость белого поля | 445 кд/м² | −5,9 | 6,7 |
| Контрастность | 965:1 | −5,2 | 3,6 |
Равномерность всех трех величин очень хорошая. Контрастность для данного типа матриц нормальная. Визуально видно, что черное поле местами засвечено. Фотография ниже это демонстрирует:
На фотографии выше высветление к углам отчасти связано с тем, что фотоаппарат был на расстоянии всего 70 см от плоскости экрана, а черное поле под углами начинает заметно высветляться, особенно при отклонении по диагонали.
При включении режима ASCR с динамическим управлением яркости на темных сценах яркость подсветки уменьшается, а на черном поле во весь экран подсветка отключается совсем, и белого курсора мыши не достаточно для включения подсветки. При повышении светлоты сцены яркость подсветки повышается. График ниже показывает, как увеличивается яркость (вертикальная ось) при переключении с черного поля (после пяти секунд вывода) на белое при выключенной и включенной динамической подстройке яркости:

Видно, что в этом режиме яркость подсветки не очень быстро повышается до максимального значения. Особой практической пользы от этой функции нет. Есть еще одна функция, работающая схожим образом — Динамическое затемнение. Если ее включить, то при смене светлоты сцены яркость повышается сразу после небольшой задержки, а на черном поле во весь экран подсветка уже не отключается.

Яркость белого поля в центре экрана и потребляемая от сети мощность (остальные настройки установлены на значения, обеспечивающие максимальную яркость изображения; частота обновления 60 Гц):
| Значение настройки Яркость | Яркость, кд/м² | Потребление электроэнергии, Вт |
|---|---|---|
| 100 | 465 | 47,8 |
| 50 | 320 | 36,9 |
| 0 | 61,5 | 17,8 |
В режиме ожидания и в условно выключенном состоянии монитор потребляет 0,3-0,5 Вт (значение периодически меняется в этих пределах). Включение проекции на стол повышает потребление где-то на 1,3 Вт, а включение многоцветной подсветки (желтый цвет в статике) — на 2,4 Вт.
Яркость монитора меняется именно яркостью подсветки, то есть без ущерба для качества изображения (сохраняется контрастность и количество различимых градаций) яркость монитора можно менять в широких пределах, что позволяет с комфортом играть, работать или смотреть фильмы как в освещенном, так и в темном помещении.
При снижении яркости подсветки появляется модуляция с относительно большой амплитудой, но ее частота очень высокая, порядка 26 кГц, поэтому никакого мерцания не видно и оно не выявляется в тестах на стробоскопический эффект. В доказательство приведем графики зависимости яркости (вертикальная ось) от времени (горизонтальная ось) при различных значениях настройки яркости:

На графике ниже приведена зависимости яркости от времени в режиме ELMB (Extreme Low Motion Blur), когда включена вставка черного кадра.

Характер модуляции сложный, но узкие пики яркости между широкими импульсами можно не учитывать. В режиме с частотой обновления 144 Гц основная модуляция идет с той же частотой, а максимальная яркость достигает 186 кд/м². Четкость в движении действительно повышается, но из-за обнаруживаемого мерцания с частотой 144 Гц данный режим рекомендуется использовать с осторожностью, так как мерцание может приводить к повышенной утомляемости глаз.
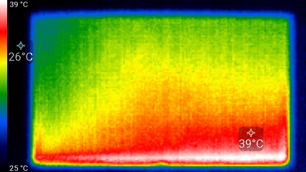
Нагрев монитора можно оценить по приведенным снимкам с ИК-камеры, полученным после долговременной работы монитора на максимальной яркости в режиме SDR в помещении с температурой примерно 24 °C:
Снимки с более близкого расстояния показали, что нижний край экрана нагрелся до 43 °C максимум — видимо, внизу находится светодиодная линейка подсветки экрана. Нагрев сзади незначительный. Корпус БП нагрелся всего до 40 °C, видимо, у него есть запас по мощности.
Определение времени отклика и задержки вывода
Время отклика зависит от значения настройки OD (видимо, от Over Drive), которая управляет разгоном матрицы. При Уровень 0 разгона нет, при Уровень 5 разгон максимальный. График ниже показывает, как меняется время включения и выключения при переходе черный-белый-черный (столбики «вкл.» и «выкл.»), а также среднее суммарное время для переходов между полутонами (столбики «GTG»):

По мере увеличения разгона на графиках некоторых переходов появляются характерные всплески яркости — например, так выглядят графики для перехода между оттенками 40% и 60% (значения OD приведены над графиками):

Визуально в случае максимального разгона артефакты увидеть можно, но они все равно не очень заметны. С нашей точки зрения, после разгона скорости матрицы достаточно даже для самых динамичных игр. В подтверждение приведем зависимость яркости от времени при чередовании белого и черного кадра при 144 Гц кадровой частоты (график с подписью 144 Гц, разгон максимальный):

Видно, что даже при 144 Гц чередования максимальная яркость белого кадра близка к уровню 90% от яркости белого в статике (100%), а минимальная яркость черного кадра ниже 10% от белого. Амплитуда изменения яркости превышает 80% от уровня белого, поэтому можно считать, что скорости матрицы достаточно для полноценного вывода изображения с кадровой частотой 144 Гц.
Мы определяли полную задержку вывода от переключения страниц видеобуфера до начала вывода изображения на экран (напомним, что она зависит от особенностей работы ОС Windows и видеокарты, а не только от монитора). Задержка вывода изображения зависит от частоты обновления и включена ли G-Sync.
| Подключение | Разрешение | Частота, Гц | G-Sync | Задержка вывода, мс |
|---|---|---|---|---|
| HDMI | 1080p | 120 | выкл. | 6,2 |
| HDMI | 1440p | 120 | выкл. | 6,8 |
| HDMI | 2160p | 60 | выкл. | 12 |
| DP | 1080p | 144 | выкл. | 4,9 |
| DP | 1440p | 144 | выкл. | 5,7 |
| DP | 2160p | 144 | выкл. | 7,0 |
| DP | 1080p | 144 | вкл. | 8,0 |
| DP | 1440p | 144 | вкл. | 8,4 |
| DP | 2160p | 144 | вкл. | 8,0 |
По факту в режимах с высокой частотой обновления задержка настолько мала, что она абсолютно не ощущается при работе за ПК, да и в играх не приведет с снижению результативности.
Измерение углов обзора
Чтобы выяснить, как меняется яркость экрана при отклонении от перпендикуляра к экрану, мы провели серию измерений яркости черного, белого и оттенков серого в центре экрана в широком диапазоне углов, отклоняя ось датчика в вертикальном, горизонтальном и диагональном направлениях.





Уменьшение яркости на 50% от максимального значения:
| Направление | Угол |
|---|---|
| Вертикальное | −30°/31° |
| Горизонтальное | −33°/37° |
| Диагональное | −33°/34° |
По скорости падения яркости углы обзора не очень широкие, что для IPS не типично. Отметим примерно одинаковый характер уменьшения яркости при отклонении от перпендикуляра к экрану во всех трех направлениях, при этом графики не пересекаются во всем диапазоне измеряемых углов. При отклонении в диагональном направлении яркость черного поля начинает резко возрастать уже при 20°-30° отклонения от перпендикуляра к экрану. Если сидеть не очень далеко от экрана, то черное поле по углам будет заметно светлее, чем в центре (фотография черного поля это показывает). Контрастность в диапазоне углов ±82° в случае отклонения по диагонали приближается к отметке 10:1, и опускается ниже при отклонении в одном направлении более чем на 65°.
Для количественной характеристики изменения цветопередачи мы провели колориметрические измерения для белого, серого (127, 127, 127), красного, зеленого и синего, а также светло-красного, светло-зеленого и светло-синего полей во весь экран с использованием установки, подобной той, что применялась в предыдущем тесте. Измерения проводились в диапазоне углов от 0° (датчик направлен перпендикулярно к экрану) до 80° с шагом в 5°. Полученные значения интенсивностей были пересчитаны в ΔE относительно замера каждого поля при перпендикулярном положении датчика относительно экрана. Результаты представлены ниже:



В качестве реперной точки можно выбрать отклонение в 45°, что может быть актуальным в случае, например, если изображение на экране рассматривают два человека одновременно. Критерием сохранения правильности цветов можно считать значение ΔE меньше 3.
Стабильность цветов хорошая (выбивается только светло-синий на двух графиках и синий на одном), это является одним из главных достоинств матрицы типа IPS.
Выводы
По совокупности характеристик Asus ROG Strix XG27UQ заслуживает отнесения к категории топовых игровых мониторов. Он имеет отличный набор игровых функций, узнаваемый «геймерский» дизайн и экран с очень высоким разрешением и высокой частотой обновления. Дополнительно монитор выделяет статичная проекция на стол и многозонная динамическая подсветка большого логотипа на задней панели. Особо отметим хорошую поддержку HDR. Кроме как для игр, монитор можно использовать и для других целей, например для выполнения офисной работы, в том числе связанной с выводом на экран большого количества информации, для работы в графических программах, для видеомонтажа и для просмотра кино. Далее списками:
Достоинства
- Узнаваемый игровой дизайн
- Хорошая поддержка HDR (сертификат VESA DisplayHDR 400)
- Поддержка технологии Adaptive-Sync (и G-Sync Compatible)
- Частота обновления до 144 Гц
- Низкая задержка вывода
- Эффективный регулируемый разгон матрицы
- Режим вставки черного кадра
- Виртуальный прицел, экранный таймер, счетчик частоты кадров и метки для выравнивания
- Хорошее качество цветопередачи
- Удобная и регулируемая подставка
- Отсутствие мерцания подсветки
- Режим с низкой интенсивностью синей компоненты
- Удобный 5-позиционный джойстик на контрольной панели
- Двухпортовый концентратор USB (3.0)
- Хорошее качество выхода на наушники
- ПО Asus DisplayWidget для настройки монитора и не только
- VESA-площадка 100 на 100 мм
- Русифицированное меню
Недостатки
- Значимых нет
За функциональное оснащение, а также за необычный внешний вид и подсветку монитор Asus ROG Strix XG27UQ получает от редакции iXBT.com награду за оригинальный дизайн:































