Содержание
- Технические характеристики
- Комплектация
- Внешний вид и удобство использования
- Экран
- Камера
- Телефонная часть и коммуникации
- Программное обеспечение и мультимедиа
- Производительность
- Теплоснимки
- Воспроизведение видео
- Время автономной работы
- Итог
«Металлический смартфон с мощным аккумулятором» — именно так охарактеризовала компания Highscreen свое новое детище под названием Power Rage Evo в рекламе. Как сразу становится понятно из названия, данный мобильный аппарат не только обеспечен батареей повышенной емкости, но и обладает практичным корпусом, выполненным из металла. Соответствуют ли всё обещанное производителем действительности, читайте в нашем обзоре смартфона Highscreen Power Rage Evo.

Основные характеристики Highscreen Power Rage Evo
- SoC MediaTek MT6737, 4 ядра @1,3 ГГц (ARM Cortex-A53)
- GPU Mali-T720
- Операционная система Android 6.0
- Сенсорный дисплей IPS 5″, 1280×720, 294 ppi
- Оперативная память (RAM) 3 ГБ, постоянная память 16 ГБ
- Поддержка Micro-SIM (2 шт.)
- Поддержка microSD есть
- Сети GSM/GPRS/EDGE (850/900/1800/1900 МГц)
- Сети WCDMA/HSPA+ (900/1900/2100 МГц)
- Сети LTE cat.4 FDD Band 1/3/7/20; TDD (38/39/40/41)
- Wi-Fi 802.11b/g/n (2,4 ГГц)
- Bluetooth 4.0
- GPS, A-GPS, Глонасс
- Micro-USB 2.0, USB OTG
- Основная камера 13 Мп, f/2,2, автофокус, видео 1080p
- Фронтальная камера 5 Мп, f/2,2, фикс. фокус
- Датчик приближения, освещения, акселерометр, компас
- Сканер отпечатков пальцев
- Аккумулятор 4000 мА·ч, съемный
- Размеры 144×71×10 мм
- Масса 183 г (собственные измерения)
| Средняя цена |
| T-1712126754 |
| Розничные предложения |
| L-1712126754-10 |
Комплект поставки
Упаковка у Highscreen Power Rage Evo простенькая, но довольно практичная: это небольшая прочная коробочка из картона.
Комплект на редкость богат: в коробке помимо самого смартфона нашлись соединительный кабель, сетевой адаптер с максимальным выходным током 2 А и напряжением 5 В, а также проводные стереонаушники с резиновыми накладками внутриканального типа, защитная пленка на экран, OTG-переходник и даже силиконовый эластичный прозрачный чехол. Удивительно, как все это поместилось в столь небольшую коробочку, но в любом случае такая забота производителя похвальна.
Внешний вид и удобство использования
Честно говоря, корпус у героя обзора не очень интересный внешне: сейчас даже совсем недорогие смартфоны ценой до 5 тысяч рублей и то выглядят более современно. Легкий, упрощенный и в то же время стильный дизайн можно создать и не за счет дорогих материалов — было бы художественное чутье и желание следовать тенденциям. Highscreen Power Rage Evo же выглядит так, как будто он вышел из прошлого, когда дешевые смартфоны все были на одно лицо — грузные, толстые и скучные.
Именно таков наш герой: корпус его выполнен из пластика, он толстый и тяжелый, хотя производитель тут пошел на хитрость и не только заявляет о наличии «металлического корпуса», но еще и откровенно обманывает в цифрах. На самом деле смартфон для своих размеров очень тяжелый, его масса равняется 183 граммам, при том что в официальных спецификациях указывается всего лишь 168 граммов, разница существенная.
Что касается металла, то он тут действительно имеется, но только в виде тонкой пластины, впаянной в толстую крышку из пластика. То есть металлической здесь на самом деле является лишь часть тыльной панели, все же остальное — боковая рамка, часть задней панели и торцы — сделано из пластмассы. Пластик твердый, матовый, на нем практически не остается отпечатков пальцев, он не слишком скользкий для удержания в руке.
![]() |
![]() |
Крышка снимается с хрустом, ее нужно поддевать пальцем за отверстие разъема Micro-USB, поскольку никакой специальной выемки нет. Под крышкой скрываются два разъема для карт формата Micro-SIM, один под карту памяти microSD и один под съемную аккумуляторную батарею, которая не подпирает собой карточки. Несмотря на это, горячая замена SIM-карт не поддерживается.
Разъемы расположены удобно, карточки даже c переходниками легко заскальзывают по направляющим и так же просто вынимаются. Правда, в приложенной к аппарату инструкции открыто запрещается использовать Nano-SIM с переходниками.
Модуль камеры не выпирает за пределы задней панели, поэтому смартфон лежит на столе устойчиво, не покачивается при прикосновениях к экрану. Вспышка состоит из одного лишь диода, но она очень яркая.
Основной динамик выведен сюда же, на заднюю крышку, так что звук заметно приглушается, когда смартфон лежит на столе. Кстати, звучит динамик смартфона для своего уровня на удивление громко и довольно чисто.
Передняя панель прикрыта защитным 2.5D-стеклом с покатыми краями. Наверху имеется сенсор освещения, камера, но нет светодиодного индикатора событий.
Сенсорные кнопки под экраном не имеют подсветки, поэтому при недостаточном освещении становятся совершенно не видны.
Боковые кнопки расположены на правой грани, они не очень крупные, выступают не сильно, но на ощупь их найти все же можно. Ход у кнопок пружинистый и комфортный, особых претензий к данным элементам нет.
На верхнем торце установлен выход 3,5 мм на наушники, в нижний врезан разъем Micro-USB, поддерживающий подключение внешних устройств в режиме USB OTG.
Смартфон выпускается в трех цветовых вариантах, один из которых — золотистый — уже, как говорится, набил оскомину. А вот два других — синий и коричневый — это пока довольно редко встречающиеся цвета, и коричневый вообще выглядит довольно стильно.

Экран
Highscreen Power Rage Evo оснащен сенсорным дисплеем IPS с размерами 62×110 мм при диагонали в 5 дюймов, защищенным 2.5D-стеклом производства Asahi Glass Dragontrail. Плотность точек здесь — около 294 ppi (разрешение экрана составляет 1280×720). Рамка вокруг экрана имеет ширину по бокам примерно в 4 мм, снизу — все 17 мм.
Яркость дисплея можно подстраивать вручную или задавать автоматические настройки, основанные на работе датчика внешнего освещения. Тест AnTuTu диагностирует поддержку 5 одновременных касаний мультитач. Есть возможность активации экрана двойным постукиванием по стеклу.
![]() |
![]() |
Подробную экспертизу с использованием измерительных приборов провел редактор разделов «Мониторы» и «Проекторы и ТВ» Алексей Кудрявцев. Приводим его экспертное мнение об экране исследуемого образца.
Лицевая поверхность экрана выполнена в виде стеклянной пластины с зеркально-гладкой поверхностью, устойчивой к появлению царапин. Судя по отражению объектов антибликовые свойства экрана лучше, чем у экрана Google Nexus 7 (2013) (далее просто Nexus 7). Для наглядности приведем фотографию, на которой в выключенных экранах отражается белая поверхность (слева — Nexus 7, справа — Highscreen Power Rage Evo, далее их можно различать по размеру):
Экран у Highscreen Power Rage Evo темнее (яркость по фотографиям 103 против 113 у Nexus 7). Двоение отраженных объектов в экране Highscreen Power Rage Evo очень слабое, это свидетельствует о том, что между слоями экрана (конкретнее между внешним стеклом и поверхностью ЖК-матрицы) нет воздушного промежутка (экран типа OGS — One Glass Solution). За счет меньшего числа границ (типа стекло/воздух) с сильно различающимися коэффициентами преломления такие экраны лучше смотрятся в условиях интенсивной внешней засветки, но вот их ремонт в случае потрескавшегося внешнего стекла обходится гораздо дороже, так как менять приходится экран целиком. На внешней поверхности экрана есть специальное олеофобное (жироотталкивающее) покрытие (по эффективности лучше, чем у Nexus 7), поэтому следы от пальцев удаляются значительно легче, а появляются с меньшей скоростью, чем в случае обычного стекла.
При ручном управлении яркостью и при выводе белого поля во весь экран максимальное значение яркости составило около 505 кд/м², минимальное — 20 кд/м². Максимальная яркость очень высокая, и, учитывая отличные антибликовые свойства, читаемость даже в солнечный день вне помещения должна быть на достойном уровне. В полной темноте яркость можно понизить до комфортного значения. В наличии автоматическая регулировка яркости по датчику освещенности (он находится левее прорези фронтального громкоговорителя). В автоматическом режиме при изменении внешних условий освещенности яркость экрана как повышается, так и понижается. Работа этой функции зависит от положения ползунка регулировки яркости. Если он на 100%, то в полной темноте функция автояркости уменьшает яркость до 200 кд/м² (очень ярко), в условиях освещенного искусственным светом офиса (около 550 лк) устанавливает на 370 кд/м² (высоковато), в очень ярком окружении (соответствует освещению ясным днем вне помещения, но без прямого солнечного света — 20000 лк или немного больше) яркость повышается до 505 кд/м² (до максимума — так и нужно); если регулировка примерно на 50%, то значения следующие: 25, 180 и 505 кд/м² (подходящие значения), регулятор на 0% — 3, 23 и 505 кд/м² (первое два значения занижены, что логично). Получается, что функция автоподстройки яркости работает адекватно и в какой-то мере позволяет пользователю настраивать свою работу под индивидуальные требования. На любом уровне яркости значимая модуляция подсветки отсутствует, поэтому нет и никакого мерцания экрана.
В данном смартфоне используется матрица типа IPS. Микрофотографии демонстрируют типичную для IPS структуру субпикселей:

Для сравнения можно ознакомиться с галереей микрофотографий экранов, используемых в мобильной технике.
Экран имеет хорошие углы обзора без значительного сдвига цветов даже при больших отклонениях взгляда от перпендикуляра к экрану и без инвертирования (кроме самых-самых темных при отклонении по одной диагонали) оттенков. Для сравнения приведем фотографии, на которых на экраны Highscreen Power Rage Evo и Nexus 7 выведены одинаковые изображения, при этом яркость экранов изначально установлена примерно на 200 кд/м², а цветовой баланс на фотоаппарате принудительно переключен на 6500 К.
Перпендикулярно к экранам белое поле:
Отметим хорошую равномерность яркости и цветового тона белого поля.
И тестовая картинка:
Цвета на экране Highscreen Power Rage Evo имеют естественную насыщенность, цветовой баланс у Nexus 7 и тестируемого экрана различается.
Теперь под углом примерно 45 градусов к плоскости и к стороне экрана:
Видно, что цвета не сильно изменились у обоих экранов, но у Highscreen Power Rage Evo контраст уменьшился в большей степени из-за сильного высветления черного, также у него стали проявляться признаки инвертирования темных оттенков.
И белое поле:
Яркость под углом у экранов уменьшилась (как минимум в 5 раз, исходя из разницы в выдержке), но у Highscreen Power Rage Evo изображение все же чуть ярче. Черное поле при отклонении по диагонали высветляется сильно и приобретает фиолетовый или красно-фиолетовый оттенок. Фотографии ниже это демонстрируют (яркость белых участков в перпендикулярном плоскости экранов направлении одинаковая!):
И под другим углом:
При перпендикулярном взгляде равномерность черного поля хорошая:
Контрастность (примерно в центре экрана) высокая — порядка 950:1. Время отклика при переходе черный-белый-черный равно 28 мс (14 мс вкл. + 14 мс выкл.). Переход между полутонами серого 25% и 75% (по численному значению цвета) и обратно в сумме занимает 43 мс. Построенная по 32 точкам с равным интервалом по численному значению оттенка серого гамма-кривая не выявила завала ни в светах, ни в тенях. Показатель аппроксимирующей степенной функции равен 2,12, что немного ниже стандартного значения 2,2. При этом реальная гамма-кривая мало отклоняется от степенной зависимости:

Наличия динамической подстройки яркости подсветки в соответствии с характером выводимого изображения мы не выявили, что очень хорошо. Такую подстройку яркости подсветки можно включить в настройках, и тогда на темных (точнее, на любых, но на темных — сильнее) изображениях яркость подсветки будет уменьшаться. Однако по умолчанию данная функция выключена (очень здравая идея!).
Цветовой охват близок к sRGB:

Спектры показывают, что светофильтры матрицы в умеренной степени подмешивают компоненты друг к другу:

В итоге цвета имеют естественную насыщенность и оттенок. Баланс оттенков на шкале серого средний, так как цветовая температура заметно выше стандартных 6500 К, но отклонение от спектра абсолютно черного тела (ΔE) ниже 10, что для потребительского устройства считается приемлемым показателем. При этом цветовая температура мало изменяется от оттенка к оттенку — это положительно сказывается на визуальной оценке цветового баланса. (Самые темные области шкалы серого можно не учитывать, так как там баланс цветов не имеет большого значения, да и погрешность измерений цветовых характеристик на низкой яркости большая.)


Подведем итоги: экран имеет очень высокую максимальную яркость и обладает отличными антибликовыми свойствами, поэтому устройством без особых проблем можно будет пользоваться вне помещения даже летним солнечным днем. В полной темноте яркость можно понизить до комфортного уровня. Допустимо использовать и режим с автоматической подстройкой яркости, работающий адекватно. К достоинствам экрана нужно отнести наличие эффективного олеофобного покрытия, отсутствие воздушного промежутка в слоях экрана и мерцания, высокий контраст и близкий к sRGB цветовой охват. К недостаткам — низкую стабильность черного к отклонению взгляда от перпендикуляра к плоскости экрана. Тем не менее, с учетом важности характеристик именно для этого класса устройств, качество экрана можно считать высоким.
Камера
Фронтальная камера у Highscreen Power Rage Evo имеет разрешение 5 Мп, объектив с максимальной диафрагмой f/2,2 с фиксированным фокусом и не имеет собственной вспышки. Качество съемки для уровня селфи неплохое, по крайней мере снимки имеют хорошую яркость и резкость, хотя к цветопередаче и балансу белого претензии есть.
Основная камера оснащена 13-мегапиксельным модулем и объективом с диафрагмой f/2,2, с довольно быстрым автофокусом, без функции стабилизации для фотосъемки. Вспышка весьма яркая. Меню управления здесь не стандартное для платформы MediaTek, а свое собственное, и очень удобное своей наглядностью. Настройки оформлены в виде матрицы из квадратиков и одновременно отображаются на экране в виде полупрозрачной подложки на фоне видоискателя. Есть режим ручных настроек с несколькими концентрическими ползунками для выбора и настройки выдержки, светочувствительности (до ISO 1600), баланса белого. Есть дополнительные режимы: ночной, панорамный, HDR, есть даже возможность делать таймлапс, сканировать QR-коды и работать с текстом. Передавать управление настройками камеры сторонним приложениям с помощью Camera2 API нельзя, возможности записи снимков в RAW тоже нет.
![]() |
![]() |
![]() |
![]() |
Камера может снимать видео в максимальном разрешении 1080р, нет режимов съемки со скоростью 60 fps и 4К. Есть функция электронной стабилизации, но она при съемке на ходу помогает слабо. В целом с видеосъемкой камера справляется неплохо, изображение резкое, с хорошей детализацией, но темноватое. Звук записывается чисто, однако системы шумоподавления здесь нет, шум ветра может все испортить.
Далее представлены примеры фотографий с нашими комментариями по качеству. Работу фотокамеры прокомментировал наш специалист Антон Соловьев.
Камера получилась на удивление хорошей, для компании Highscreen это немного необычно. Перед нами приличный модуль и полноценная программа. Камера неплохо справляется с деталями, а резкость по полю и по планам гуляет не так уж сильно. Порой, конечно, заметно падение резкости на дальних планах, но это дело случая. В итоге камеру можно смело использовать для документальной съемки.
Телефонная часть и коммуникации
Коммуникационные возможности стандартны для середнячка: смартфон может работать во всех трех используемых на территории России диапазонах LTE FDD, поддерживается Bluetooth 4.0 и лишь один диапазон Wi-Fi (2,4 ГГц), есть Wi-Fi Direct, можно стандартно организовать точку доступа через Wi-Fi или Bluetooth-модем. Нет NFC и нет даже HotKnot. К качеству связи претензий нет: с SIM-картами российских операторов связи в московском регионе смартфон вел себя уверенно, регистрировался в сетях, не терял связь, быстро восстанавливал ее после обрыва.
Навигационный модуль поддерживает две из трех мировых спутниковых систем навигации — GPS и Глонасс, без китайской Beidou. Первые спутники при холодном старте обнаруживаются в течение первых десятков секунд. Датчиком магнитного поля, на основе которого обычно функционирует цифровой компас навигационных программ, смартфон тоже оснащен.
![]() |
![]() |
Телефонное приложение поддерживает Smart Dial, то есть во время набора телефонного номера сразу осуществляется и поиск по первым буквам в контактах. В телефонной книге присутствуют лишь штатные возможности настройки отображения контактов, но есть встроенный черный список нежелательных контактов.
В разговорном динамике звук довольно громкий, чуть глуховатый и немного шепелявый, но вполне разборчивый. Есть возможность записи телефонных разговоров с линии штатными средствами. Виброзвонок по силе ниже среднего уровня, аппарат тяжелый и толстый, для него нужен бы вибромоторчик помощнее.
![]() |
![]() |
![]() |
![]() |
![]() |
![]() |
Платформа смартфона не поддерживает одновременную работу с двумя SIM-картами 3G и 4G. То есть карты таких операторов, как Tele2, не будут работать в 3G на голосовую связь (а в 2G они просто не умеют работать), если под передачу данных в 4G будет выделена карта из другого слота. Интерфейс позволяет выбрать для каждой из функций определенную карту заранее или прямо во время соединения. Работают карты в режиме Dual SIM Dual Standby, радиомодем здесь один.
![]() |
![]() |
Программное обеспечение и мультимедиа
В качестве программной платформы в Highscreen Power Rage Evo используется Google Android версии 6.0, есть возможность обновления по воздуху (ОТА). Альтернативного интерфейса, как такового, нет, интерфейс воспроизводит стоковую ОС Android. Единственное изменение — это меню настроек: все главные настройки вынесены в отдельный раздел, как в интерфейсе у смартфонов Huawei. Информацию о хранилище, памяти, местоположении, учетной записи и пр. нужно искать именно в подразделе расширенных настроек. Здесь же добавили раздел по работе с жестами: перевороты корпуса, рисование символов на экране, реакция автояркости на глаза пользователя (с помощью камеры), активация двойным постукиванием по экрану — все это тут есть. Есть и возможность включить знакомую виртуальную кнопку — круговое меню с возможностью вызова наиболее важных функций, прикрепляемое к любому месту на экране. Дополнительных программ, кроме файлового менеджера, в смартфоне нет.
![]() |
![]() |
![]() |
![]() |
![]() |
![]() |
Для прослушивания музыки здесь предназначен музыкальный проигрыватель с симпатичным интерфейсом и богатым набором дополнительных настроек на основе системы виртуального звука DTS с возможностью выбора пресетов эквалайзера под определенные типы наушников. Звучит в наушниках смартфон на удивление качественно: звук глубокий, басовитый, чистый и довольно мощный, прослушивание музыкальных композиций здесь вполне комфортно.
![]() |
![]() |
![]() |
![]() |
Производительность
Аппаратная платформа Highscreen Power Rage Evo строится на базе SoC MediaTek MT6737. В конфигурацию данного чипа входит четыре процессорных ядра Cortex-A53, работающих на частоте до 1,3 ГГц. За обработку графики отвечает видеоускоритель Mali-T720. Объем ОЗУ равняется 3 ГБ, что неплохо, а пользовательское хранилище изначально составляет менее 10 ГБ. Около 1,7 ГБ ОЗУ в реальности остаются свободными после перезагрузки, очистки памяти и закрытия всех приложений.
![]() |
![]() |
![]() |
![]() |
Есть возможность установки карт microSD, и для этого не придется изымать одну из SIM-карт. На практике наша проверочная карта Transcend Premium microSDXC UHS-1 объемом 128 ГБ уверенно распозналась устройством. Можно отформатировать карту памяти так, чтобы устанавливать на нее приложения.
![]() |
![]() |
MediaTek MT6737 — платформа достаточно новая, она ориентирована на ультрабюджетный класс устройств. Но смартфон на ней все же гораздо лучше, чем, например, на устаревшей MediaTek MT6580 с ядрами Cortex-A7, а такие еще встречаются. (Например, на такой SoC пытается продавать свой новый флагман компания Prestigio — Prestigio Grace R7.) В сравнительной табличке наглядно видно, насколько интереснее новая платформа поколения МТ67хх по отношению к МТ65хх аналогичного уровня. Здесь более новый техпроцесс производства, более быстрые ядра, графический сопроцессор поддерживает OpenGL ES 3.1. Конечно, ждать от такой платформы высоких показателей производительности нет смысла, но все же платформа помогает смартфону справляться с актуальными задачами, скорость работы интерфейса также не вызывает дискомфорта. Можно даже поиграть в требовательные игры, такие как Dead Trigger 2 или Modern Combat 5 — правда, с небольшими притормаживаниями.


Тестирование в комплексных тестах AnTuTu и GeekBench:
Все результаты, полученные нами при тестировании смартфона в самых свежих версиях популярных бенчмарков, мы для удобства свели в таблицы. В таблицу обычно добавляется несколько других аппаратов из различных сегментов, также протестированных на аналогичных последних версиях бенчмарков (это делается лишь для наглядной оценки полученных сухих цифр). К сожалению, в рамках одного сравнения нельзя представить результаты из разных версий бенчмарков, поэтому «за кадром» остаются многие достойные и актуальные модели — по причине того, что они в свое время проходили «полосу препятствий» на предыдущих версиях тестовых программ.
| Highscreen Power Rage Evo (MediaTek MT6737) |
Prestigio Grace R7 (MediaTek MT6580) |
Cubot Max (MediaTek MT6753) |
Wileyfox Swift 2 (Qualcomm Snapdragon 430) |
Huawei P9 lite (HiSilicon Kirin 650) |
|
| AnTuTu (v6.x) (больше — лучше) |
33759 | 23801 | 38415 | 45277 | 52598 |
| GeekBench (v4.x) (больше — лучше) |
572/1624 | 408/1016 | 611/2499 | 643/2120 | — |
![]() |
![]() |
Тестирование графической подсистемы в игровых тестах 3DMark, GFXBenchmark и Bonsai Benchmark:
При тестировании в 3DMark для самых производительных смартфонов теперь есть возможность запускать приложение в режиме Unlimited, где разрешение рендеринга фиксировано на 720p и отключен VSync (из-за чего скорость может подниматься выше 60 fps).
| Highscreen Power Rage Evo (MediaTek MT6737) |
Prestigio Grace R7 (MediaTek MT6580) |
Cubot Max (MediaTek MT6753) |
Wileyfox Swift 2 (Qualcomm Snapdragon 430) |
Huawei P9 lite (HiSilicon Kirin 650) |
|
| 3DMark Ice Storm Sling Shot (больше — лучше) |
131 | — | 201 | 295 | 367 |
| GFXBenchmark Manhattan ES 3.1 (Onscreen, fps) | 4 | — | 7 | 11 | 5 |
| GFXBenchmark Manhattan ES 3.1 (1080p Offscreen, fps) | 2 | — | 3 | 4 | 5 |
| GFXBenchmark T-Rex (Onscreen, fps) | 14 | 9 | 19 | 21 | 19 |
| GFXBenchmark T-Rex (1080p Offscreen, fps) | 9 | 4 | 12 | 16 | 19 |
![]() |
![]() |
Браузерные кросс-платформенные тесты:
Что касается бенчмарков для оценки скорости движка javascript, то стоит всегда делать скидку на то, что в них результаты существенно зависят от браузера, в котором запускаются, так что сравнение может быть истинно корректным только на одинаковых ОС и браузерах, а такая возможность имеется при тестировании не всегда. В случае с ОС Android мы всегда стараемся использовать Google Chrome.
| Highscreen Power Rage Evo (MediaTek MT6737) |
Prestigio Grace R7 (MediaTek MT6580) |
Cubot Max (MediaTek MT6753) |
Wileyfox Swift 2 (Qualcomm Snapdragon 430) |
Huawei P9 lite (HiSilicon Kirin 650) |
|
| Mozilla Kraken (мс, меньше — лучше) |
12894 | 14313 | 14587 | 11250 | 9259 |
| Google Octane 2 (больше — лучше) |
2808 | 2279 | 2409 | 3146 | 4542 |
| SunSpider (мс, меньше — лучше) |
1595 | 2006 | 1955 | 1371 | 1010 |
![]() |
![]() |

Результаты теста AndroBench на скорость работы с памятью:

Теплоснимки
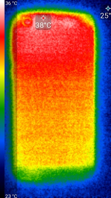
Ниже приведен теплоснимок задней поверхности, полученный после 10 минут работы теста аккумулятора в программе GFXBenchmark:

Видно, что нагрев больше локализован в верхней части аппарата, что, видимо, соответствует расположению микросхемы SoC. По данным теплокамеры, максимальный нагрев составил 38 градусов (при температуре окружающего воздуха в 24 градуса), это не очень много.
Воспроизведение видео
Для тестирования «всеядности» при воспроизведении видео (включая поддержку различных кодеков, контейнеров и специальных возможностей, например субтитров) нами применялись наиболее распространенные форматы, которые составляют основную массу имеющегося в Сети контента. Заметим, что для мобильных устройств важно иметь поддержку аппаратного декодирования видеороликов на уровне чипа, поскольку обработать современные варианты за счет одних лишь процессорных ядер чаще всего невозможно. Также не стоит ждать от мобильного устройства декодирования всего-всего, поскольку лидерство по гибкости принадлежит ПК, и никто не собирается его оспаривать. Все результаты сведены в таблицу.
По результатам тестирования испытуемый, как это чаще всего и бывает, не оказался снабжен всеми необходимыми декодерами, которые нужны для полноценного проигрывания большинства наиболее распространенных в сети мультимедийных файлов, в данном случае, звуковых. Для успешного их проигрывания придется прибегнуть к помощи стороннего проигрывателя — к примеру, MX Player. Правда, и в нем необходимо изменять настройки и устанавливать вручную дополнительные пользовательские кодеки, ведь теперь данный плеер официально не поддерживает звуковой формат АС3.
| Формат | Контейнер, видео, звук | MX Video Player | Штатный видеоплеер |
| 1080p H.264 | MKV, H.264 1920×1080, 24fps, AAC | воспроизводится нормально | воспроизводится нормально |
| 1080p H.264 | MKV, H.264 1920×1080, 24fps, AC3 | видео воспроизводится нормально, звука нет | видео воспроизводится нормально, звука нет |
| 1080p H.265 | MKV, H.265 1920×1080, 24fps, AAC | воспроизводится нормально | воспроизводится нормально |
| 1080p H.265 | MKV, H.265 1920×1080, 24fps, AC3 | видео воспроизводится нормально, звука нет | видео воспроизводится нормально, звука нет |
Дальнейшее тестирование воспроизведения видео выполнил Алексей Кудрявцев.
Интерфейса MHL, как и Mobility DisplayPort, мы в данном смартфоне не обнаружили, поэтому пришлось ограничиться тестированием вывода изображения видеофайлов на экран самого устройства. Для этого мы использовали набор тестовых файлов с перемещающимися на одно деление за кадр стрелкой и прямоугольником (см. «Методика тестирования устройств воспроизведения и отображения видеосигнала. Версия 1 (для мобильных устройств)»). Снимки экрана с выдержкой в 1 с помогли определить характер вывода кадров видеофайлов с различными параметрами: варьировались разрешение (1280 на 720 (720p), 1920 на 1080 (1080p) и 3840 на 2160 (4K) пикселей) и частота кадров (24, 25, 30, 50 и 60 кадр/с). В тестах мы использовали видеоплеер MX Player в режиме «Аппаратный». Результаты теста сведены в таблицу:
| Файл | Равномерность | Пропуски |
| 4К/60p (H.265) | не воспроизводится | |
| 4К/50p (H.265) | не воспроизводится | |
| 4К/30p (H.265) | не воспроизводится | |
| 4К/25p (H.265) | не воспроизводится | |
| 4К/24p (H.265) | не воспроизводится | |
| 4К/30p | не воспроизводится | |
| 4К/25p | не воспроизводится | |
| 4К/24p | не воспроизводится | |
| 1080/60p | отлично | нет |
| 1080/50p | хорошо | нет |
| 1080/30p | хорошо | нет |
| 1080/25p | хорошо | нет |
| 1080/24p | хорошо | нет |
| 720/60p | отлично | нет |
| 720/50p | хорошо | нет |
| 720/30p | отлично | нет |
| 720/25p | хорошо | нет |
| 720/24p | отлично | нет |
Примечание: Если в обоих столбцах Равномерность и Пропуски выставлены зеленые оценки, то это означает, что, скорее всего, при просмотре фильмов артефактов, вызванных неравномерным чередованием и пропуском кадров, или не будет видно совсем, или их количество и заметность не будет влиять на комфортность просмотра. Красные отметки указывают на возможные проблемы, связанные с воспроизведением соответствующих файлов.
По критерию вывода кадров качество воспроизведения видеофайлов на экране самого смартфона хорошее, так как кадры (или группы кадров) могут (но не обязаны) выводиться с более-менее равномерным чередованием интервалов и без пропусков кадров. При воспроизведении видеофайлов с разрешением 1280 на 720 пикселей (720p) на экране смартфона изображение собственно видеофайла выводится точно по границе экрана, один к одному по пикселям, то есть в исходном разрешении. Отображаемый на экране диапазон яркости соответствует стандартному диапазону 16—235: в тенях всего пара оттенков сливается с черным, но в светах отображаются все градации оттенков.
Время автономной работы
Съемная аккумуляторная батарея, установленная в Highscreen Power Rage Evo, имеет большую емкость в 4000 мА·ч. И смартфон действительно показал весьма неординарные результаты в тестах на автономность. Уровень заметно выше среднего, аппарат можно назвать долгожителем среди современных смартфонов, так что это его достоинство из рекламы подтверждается. Тестирование традиционно проводилось на обычном уровне энергопотребления без использования функций энергосбережения.
| Емкость аккумулятора | Режим чтения | Режим видео | Режим 3D-игр | |
| Highscreen Power Rage Evo | 4000 мА·ч | 19 ч. 00 м. | 13 ч. 00 м. | 6 ч. 20 м. |
| Prestigio Grace R7 | 2500 мА·ч | 15 ч. 00 м. | 9 ч. 00 м. | 5 ч. 00 м. |
| Cubot Max | 4100 мА·ч | 14 ч. 00 м. | 11 ч. 00 м. | 5 ч. 00 м. |
| Huawei P9 lite | 3000 мА·ч | 14 ч. 30 м. | 10 ч. 00 м. | 4 ч. 00 м. |
| Wileyfox Swift 2 | 2700 мА·ч | 11 ч. 30 м. | 9 ч. 00 м. | 5 ч. 00 м. |
Беспрерывное чтение в программе Moon+ Reader (со стандартной, светлой темой) при минимальном комфортном уровне яркости (яркость была выставлена на 100 кд/м²) с автолистанием длилось до полного разряда аккумулятора около 19 часов, а при беспрерывном просмотре видео в высоком качестве (720р) с тем же уровнем яркости через домашнюю сеть Wi-Fi аппарат функционирует вообще 13 часов. В режиме 3D-игр смартфон проработал почти 6,5 часов.
Наличие быстрой зарядки указано среди возможностей исследуемого аппарата, однако на деле от комплектного сетевого адаптера смартфон заряжается очень долго, более 3,5 часов током 1 А при напряжении 5,3 В. Беспроводная зарядка, естественно, не поддерживается.
Итог
Скромный внешний вид Highscreen Power Rage Evo с невзрачным дизайном толстого и грузного корпуса — еще не приговор. У смартфона за 12 тысяч рублей современная, пусть и не слишком производительная аппаратная платформа, качественный экран, достойное звучание, приемлемое качество камер и великолепный уровень автономности. Коммуникационные возможности скромные, но без явных провалов. Аппарат в целом оказался интереснее своей скромной оболочки, это не яркая звезда, но добротная рабочая лошадка, устройство для пользователей, которым прежде всего важно долгое время работы мобильного помощника. И в этом вопросе Highscreen Power Rage Evo своего хозяина точно не разочарует.





































































