Содержание
- Технические характеристики
- Комплектация
- Внешний вид и удобство использования
- Экран
- Камера
- Телефонная часть и коммуникации
- Программное обеспечение и мультимедиа
- Производительность
- Теплоснимки
- Воспроизведение видео
- Время автономной работы
- Итог
В середине лета тайваньский производитель Asus представил на российском рынке и почти сразу же запустил в продажу обновление одной из самых массовых и доступных своих моделей смартфонов — Zenfone 4 Max. Аппарат получил не только очень емкую аккумуляторную батарею, которая позволяет ему демонстрировать чрезвычайно долгую автономную работу, но еще и двойную камеру, что для устройства средней ценовой категории является несомненным плюсом. Обо всех возможностях новинки мы расскажем в подробном обзоре смартфона Asus Zenfone 4 Max.

Основные характеристики Asus Zenfone 4 Max (модель ZC554KL)
- SoC Qualcomm Snapdragon 425, 4 ядра Cortex-A53 @1,4 ГГц
- GPU Adreno 308
- Операционная система Android 7.1.1
- Сенсорный дисплей IPS 5,5″, 1280×720, 267 ppi
- Оперативная память (RAM) 2/3 ГБ, внутренняя память 16/32 ГБ
- Поддержка Nano-SIM (2 шт.)
- Поддержка microSD до 256 ГБ
- Сети GSM/GPRS/EDGE (850/900/1800/1900 МГц)
- Сети WCDMA/HSPA+ (850/900/2100 МГц)
- Сети LTE Cat.4 FDD (B1/3/5/7/8/20), TD LTE (B40)
- Wi-Fi 802.11b/g/n (2,4 ГГц)
- Bluetooth 4.1
- GPS, A-GPS, Глонасс, BDS
- Micro-USB, USB OTG
- Основная камера 13 Мп, f/2,0, автофокус, видео 1080p
- Вспомогательная камера 2 Мп с углом обзора 120°
- Фронтальная камера 8 Мп, f/2,2, фикс. фокус, вспышка
- Датчик приближения, освещения, магнитного поля, дактилоскопический, акселерометр, гироскоп
- Аккумулятор 5000 мА·ч
- Размеры 154×77×8,9 мм
- Масса 181 г
| Средняя цена Asus Zenfone 4 Max (2/16 ГБ) | Средняя цена Asus Zenfone 4 Max (3/32 ГБ) |
|---|---|
| Розничные предложения Asus Zenfone 4 Max (2/16 ГБ) | |
| Розничные предложения Asus Zenfone 4 Max (3/32 ГБ) | |
Комплект поставки
Коробка герою обзора досталась среднего размера и скромного вида. Выполнена она из белого картона с тонкой обложкой, оформленной просто, без претензий.
В коробке нашелся соединительный кабель, стандартный сетевой адаптер с выходным током и напряжением 5 В 2 А, ключик для извлечения карт. Комплектация точно такая же, как у Zenfone 3 Max. Здесь тоже в комплект не вложили проводную стереогарнитуру, но присутствует OTG-переходник. Это обусловлено тем, что Zenfone 4 Max поддерживает реверсную зарядку сторонних устройств от своего разъема Micro-USB.
Внешний вид и удобство использования
По пропорциям и габаритам корпуса Asus Zenfone 4 Max является довольно крупным устройством, у него не только большой экран с широкой рамкой по бокам, но и очень емкая батарея, из-за чего корпус вышел еще и толстым и тяжелым.
Бо́льшая часть задней крышки выполнена из металла, но это не цельнометаллический вариант, поскольку торцевые части здесь полностью пластмассовые. Все интерфейсные разъемы смонтированы именно в пластиковых частях.
Углы сильно закруглены в плане, все поверхности матовые, не очень маркие, но в сухих ладонях они могут быть довольно скользкими, особенно учитывая толщину и тяжесть корпуса. С таким смартфоном лучше быть настороже, а еще лучше — сразу купить защитный чехол.
![]() |
![]() |
Передняя панель полностью прикрыта 2.5D-стеклом с покатыми краями, которые органично переходят в округлые боковины корпуса, делая форму корпуса законченной, а грани — более удобными для удержания в пальцах. Под стеклом наверху можно найти стандартный набор сенсоров и светодиодный индикатор событий.
К сожалению, сенсорные кнопки внизу подсветки не получили. Центральная сенсорная кнопка представлена небольшим углублением в стекле, это на сегодня наиболее типичный вариант встраивания сканера отпечатков пальцев. Дактилоскопический датчик работает исправно, быстро и практически безошибочно распознает палец, который можно подносить под любым углом. Регистрировать позволяется не более 5 отпечатков.
Тыльная сторона корпуса привычно отдана под камеру со вспышкой. Вспышка не максимально яркая, но в целом светит достаточно сильно. Фотографический модуль состоит из двух камер, прикрытых единым стеклышком овальной формы, которое практически не выпирает за пределы поверхности и не мешает смартфону устойчиво лежать на столе.
Карточки вставляются в боковой разъем слева. Он здесь не совсем обычный, тройной: в него на единых салазках въезжают две карты Nano-SIM и карта памяти microSD.
Кнопки, размещенные на другой боковой грани, крупные, металлические, имеют насечки, нажимаются мягко, но отклик у них отчетливый. Претензий к данным элементам нет.
В нижнем торце проделаны два симметричных ряда отверстий, за одним из них скрывается громкоговоритель. Посередине установлен универсальный разъем Micro-USB, поддерживающий подключение внешних устройство в режиме USB OTG и реверсную зарядку других устройств от аккумулятора смартфона.
На верхнем торце размещены 3,5-миллиметровый аудиовыход на наушники и вспомогательный микрофон для работы системы шумоподавления.
Согласно фирменному описанию на русскоязычном сайте, Asus Zenfone 4 Max доступен в трех цветовых вариантах: черном (Deepsea Black), золотистом (Sunlight Gold) и розовом. Правда, в рассылаемом пресс-релизе про розовый вариант почему-то не сказано ни слова.

Экран
Asus Zenfone 4 Max оснащен дисплеем IPS, прикрытым 2.5D-стеклом с покатыми краями. Физические размеры экрана составляют 68×121 мм при диагонали 5,5 дюйма. Разрешение равняется 1280×720, плотность точек составляет около 267 ppi. Рамка вокруг экрана имеет общую ширину по бокам примерно по 4 мм, снизу — 15 мм, сверху — 18 мм.
Яркость дисплея можно подстраивать вручную или использовать автоматические настройки, основанные на работе датчика внешнего освещения. Тест AnTuTu диагностирует поддержку 10 одновременных касаний мультитач. В официальном пресс-релизе упоминается также поддержка работы с экраном в перчатках, но в настройках самого аппарата включения такой возможности не обнаружилось.
![]() |
![]() |
Подробную экспертизу с использованием измерительных приборов провел редактор разделов «Мониторы» и «Проекторы и ТВ» Алексей Кудрявцев. Приводим его экспертное мнение об экране исследуемого образца.
Лицевая поверхность экрана выполнена в виде стеклянной пластины с зеркально-гладкой поверхностью, устойчивой к появлению царапин. Судя по отражению объектов антибликовые свойства экрана не хуже, чем у экрана Google Nexus 7 (2013) (далее просто Nexus 7). Для наглядности приведем фотографию, на которой в выключенных экранах отражается белая поверхность (слева — Nexus 7, справа — Asus Zenfone 4 Max, далее их можно различать по размеру):
Экран у Asus Zenfone 4 Max такой же темный (яркость по фотографиям 119 у обоих). Двоение отраженных объектов в экране Asus Zenfone 4 Max очень слабое, это свидетельствует о том, что между слоями экрана (конкретнее между внешним стеклом и поверхностью ЖК-матрицы) нет воздушного промежутка (экран типа OGS — One Glass Solution). За счет меньшего числа границ (типа стекло/воздух) с сильно различающимися коэффициентами преломления такие экраны лучше смотрятся в условиях интенсивной внешней засветки, но вот их ремонт в случае потрескавшегося внешнего стекла обходится гораздо дороже, так как менять приходится экран целиком. На внешней поверхности экрана есть специальное олеофобное (жироотталкивающее) покрытие (по эффективности получше, чем у Nexus 7), поэтому следы от пальцев удаляются значительно легче, а появляются с меньшей скоростью, чем в случае обычного стекла.
При ручном управлении яркостью и при выводе белого поля во весь экран максимальное значение яркости составило около 500 кд/м², минимальное — 9 кд/м². Максимальная яркость очень высокая, и, учитывая отличные антибликовые свойства, читаемость даже в солнечный день вне помещения должна быть на достойном уровне. В полной темноте яркость можно понизить до комфортного значения. В наличии автоматическая регулировка яркости по датчику освещенности (он находится левее прорези фронтального громкоговорителя). В автоматическом режиме при изменении внешних условий освещенности яркость экрана как повышается, так и понижается. Работа этой функции зависит от положения ползунка регулировки яркости. Если он на 100%, то в полной темноте функция автояркости уменьшает яркость до 20 кд/м² (нормально), в условиях освещенного искусственным светом офиса (около 550 лк) устанавливает на 400 кд/м² (высоковато), в очень ярком окружении (соответствует освещению ясным днем вне помещения, но без прямого солнечного света — 20000 лк или немного больше) яркость повышается до 500 кд/м² (до максимума — так и нужно); если регулировка примерно на 50%, то значения следующие: 14, 260 и 500 кд/м² (подходящие значения), если регулятор на 0% — 10, 100 и 440 кд/м² (все три значения ниже, что логично). Получается, что функция автоподстройки яркости работает адекватно и в какой-то мере позволяет пользователю настраивать свою работу под индивидуальные требования. Только на очень низком уровне яркости появляется значимая модуляции подсветки, но ее частота высокая, порядка 2,3 кГц, поэтому видимое мерцание экрана отсутствует, и не может быть выявлено в тесте на наличие стробоскопического эффекта.
В данном смартфоне используется матрица типа IPS. Микрофотографии демонстрируют типичную для IPS структуру субпикселей:

Для сравнения можно ознакомиться с галереей микрофотографий экранов, используемых в мобильной технике.
Экран имеет хорошие углы обзора без значительного сдвига цветов даже при больших отклонениях взгляда от перпендикуляра к экрану и без инвертирования (кроме самых-самых темных при отклонении по одной диагонали) оттенков. Для сравнения приведем фотографии, на которых на экраны Asus Zenfone 4 Max и Nexus 7 выведены одинаковые изображения, при этом яркость экранов изначально установлена примерно на 200 кд/м², а цветовой баланс на фотоаппарате принудительно переключен на 6500 К.
Перпендикулярно к экранам белое поле:
Отметим хорошую равномерность яркости и цветового тона белого поля.
И тестовая картинка:
Цвета на экране Asus Zenfone 4 Max имеют естественную насыщенность, цветовой баланс у Nexus 7 и тестируемого экрана немного различается.
Теперь под углом примерно 45 градусов к плоскости и к стороне экрана:
Видно, что цвета не сильно изменились у обоих экранов, но у Asus Zenfone 4 Max контраст уменьшился в большей степени из-за сильного высветления черного.
И белое поле:
Яркость под углом у экранов уменьшилась (как минимум в 5 раз, исходя из разницы в выдержке), но у Asus Zenfone 4 Max снижение яркости чуть больше. Черное поле при отклонении по диагонали высветляется сильно и приобретает фиолетовый оттенок. Фотографии ниже это демонстрируют (яркость белых участков в перпендикулярном плоскости экранов направлении одинаковая!):
И под другим углом:
При перпендикулярном взгляде равномерность черного поля средняя:
Контрастность (примерно в центре экрана) нормальная — порядка 800:1. Время отклика при переходе черный-белый-черный равно 17 мс (9 мс вкл. + 8 мс выкл.). Переход между полутонами серого 25% и 75% (по численному значению цвета) и обратно в сумме занимает 31 мс. Построенная по 32 точкам с равным интервалом по численному значению оттенка серого гамма-кривая не выявила завала ни в светах, ни в тенях. Показатель аппроксимирующей степенной функции равен 2,22, что близко к стандартному значению 2,2. При этом реальная гамма-кривая мало отклоняется от степенной зависимости:

В данном аппарате есть какая-то динамическая подстройка яркости подсветки в соответствии с характером выводимого изображения. В итоге полученная зависимость яркости от оттенка (гамма-кривая) может не соответствовать гамма-кривой статичного изображения, так как измерения проводились при последовательном выводе оттенков серого почти на весь экран. По этой причине ряд тестов — определение контрастности и времени отклика, сравнение засветки черного под углами — мы проводили (впрочем, как и всегда) при выводе специальных шаблонов с неизменной средней яркостью, а не однотонных полей во весь экран. Нужно отметить, что в данном случае коррекция яркости выражена слабо и имеет не совсем очевидную зависимость от изображения, однако лучше бы ее не было вовсе.
Цветовой охват близок к sRGB:

Спектры показывают, что светофильтры матрицы в умеренной степени подмешивают компоненты друг к другу:

В итоге цвета имеют естественную насыщенность и оттенок. Баланс оттенков на шкале серого компромиссный, так как цветовая температура сильно выше стандартных 6500 К, но отклонение от спектра абсолютно черного тела (ΔE) ниже 10, что для потребительского устройства считается приемлемым показателем. При этом оба параметра мало изменяются от оттенка к оттенку — это положительно сказывается на визуальной оценке цветового баланса. (Самые темные области шкалы серого можно не учитывать, так как там баланс цветов не имеет большого значения, да и погрешность измерений цветовых характеристик на низкой яркости большая.)

Подведем итоги: экран имеет очень высокую максимальную яркость и обладает отличными антибликовыми свойствами, поэтому устройством без особых проблем можно будет пользоваться вне помещения даже летним солнечным днем. В полной темноте яркость можно понизить до комфортного уровня. Допустимо использовать и режим с автоматической подстройкой яркости, работающий адекватно. Также к достоинствам экрана нужно отнести наличие эффективного олеофобного покрытия, отсутствие воздушного промежутка в слоях экрана и мерцания, близкий к sRGB цветовой охват. К существенным недостаткам — низкую стабильность черного к отклонению взгляда от перпендикуляра к плоскости экрана. Тем не менее, с учетом важности характеристик именно для этого класса устройств, качество экрана можно считать высоким.
Камера
Фронтальный модуль у Asus Zenfone 4 Max имеет сенсор OV8856 с разрешением 8 Мп (размер сенсора: 1/3,06″, размер пикселя: 1,12 мкм) и объектив с диафрагмой f/2,2, с фиксированным фокусом, но с собственной светодиодной вспышкой. Угол обзора объектива — 85°. Для камеры предусмотрены автоматический режим с функцией расширенного динамического диапазона и возможностью съемки в условиях плохой освещенности, режим улучшения портрета, GIF-анимация, селфи-панорама, функция BeautyLive.
Качество снимков на максимальных настройках в целом среднее для уровня селфи — не провальное, но и не идеальное. К резкости и детализации особых претензий нет, но динамический диапазон матрицы не позволяет даже в не самых плохих условиях в помещении правильно проэкспонировать и светлые, и темные тона. Приходится чем-то жертвовать, получая либо пересвеченные участки, либо совсем темные. Но в целом это приемлемо для селфи-камеры, она здесь не самая плохая.
![]() |
![]() |
В качестве основной используется система из двух камер: 13-мегапиксельная камера с сенсором OV13855 и диафрагмой f/2,0 (размер сенсора: 1/3,06″, размер пикселя: 1,12 мкм), а также дополнительная камера с углом обзора 120° и неизвестными остальными параметрами. Понятно, что, как и прежде, в роли дополнительной камеры Asus использует некий простенький китайский безымянный сенсор, характеристики которого предпочитает не разглашать. С более широким полем обзора в кадр попадает, естественно, больше деталей, но она делает снимки с разрешением всего лишь 2 Мп (1920×1080), то есть качество далеко не такое же, как у первой камеры.
Первая, 13-мегапиксельная камера оснащена быстрым фазовым автофокусом PDAF, есть система электронной стабилизации изображения. Вспышка одноцветная, с яркостью выше среднего уровня. Эта камера является основной и служит для обычной фотосъемки, в то время как вторая оснащается широкоугольным объективом (120°), который будет оптимален для пейзажных и групповых фото. Переключение между камерами осуществляется по нажатию на виртуальную кнопку в видоискателе.
Среди настроек присутствует автоматический режим с функцией расширенного динамического диапазона и возможностью съемки в условиях плохой освещенности, профессиональный режим, режим улучшения портрета, режим суперразрешения, GIF-анимация, панорамная съемка, селфи-панорама, замедленная съемка. В режиме суперразрешения программа склеивает четыре снимка по 13 Мп, делая одно большое изображение 52 Мп (8320×6240). На фирменном сайте почему-то указано разрешение 64 Мп, это ошибка.
В режиме ручных настроек можно самостоятельно повлиять на варианты фокусировки, выдержку, баланс белого, светочувствительность (ISO до 3200) и экспокоррекцию. Всегда доступна кнопка переключения соотношения сторон получаемого снимка (16:9 или 4:3). В быстром доступе также находится режим HDR, а взмахом справа налево вызывается обширное меню с разнообразными цветовыми эффектами (greyscale, nostalgic, warm и др.).
![]() |
![]() |
![]() |
![]() |
Камера может снимать видео в максимальном разрешении Full HD @30 fps, присутствует функция электронной стабилизации. С видеосъемкой камера справляется в целом неплохо. Изображение плавное, светлое, резкое, к детализации претензий нет. Но вот звуковое сопровождение подкачало: слишком рьяная работа системы шумоподавления приводит к появлению знакомых искажений в виде булькающих звуков и эха.
- Ролик №1 (16 МБ, 1920×1080@30 fps, H.264, AAC)
- Ролик №2 (27 МБ, 1920×1080@30 fps, H.264, AAC)
- Ролик №3 (31 МБ, 1920×1080@30 fps, H.264, AAC)
Далее представлены примеры фотографий с нашими комментариями по качеству. Работу фотокамеры прокомментировал наш специалист Антон Соловьев.
Камера получилась хорошей. Программа излишне не усердствует, резкость и детализация по полю кадра и по планам неплохие, хотя периодически возникают зоны нерезкости на краях кадра, да и с цветами не всегда все гладко. В итоге камеру вполне можно рекомендовать для документальной съемки, а иногда она справится и с художественной.
Телефонная часть и коммуникации
Коммуникационные возможности Asus Zenfone 4 Max — на удовлетворительном уровне. Есть поддержка шести диапазонов LTE FDD, в том числе всех 3 интересных нам диапазонов (band 3, 7, 20), а также одного диапазона TDD LTE (В40), но это лишь LTE Cat.4 со скоростью приема/передачи 150/50 Мбит/с. В городской черте московского региона аппарат ведет себя уверенно, качество приема сигнала нареканий не вызывает. Аппарат демонстрирует высокие скорости на прием в сети LTE в знакомых проверочных местах.
Второй диапазон Wi-Fi (5 ГГц) не поддерживается, модуль Bluetooth соответствует версии 4.1, модуля NFC нет. К смартфону можно подключать внешние устройства в режиме USB OTG.
Навигационный модуль работает со всеми тремя мировыми системами (GPS, Глонасс и Beidou). Первые спутники при холодном старте обнаруживаются в течение первых десятков секунд, к точности позиционирования претензий нет. Кроме того, в смартфоне имеется магнитный компас для успешного функционирования навигационных программ.
![]() |
![]() |
Телефонное приложение поддерживает Smart Dial, в телефонной книге можно найти стандартные для Android возможности для сортировки и отображения контактов, а также расширенные настройки с применением спам-фильтра, смарт-поиска по контактам, защиты паролем, объединения дублирующих записей и много другого с помощью отдельной программы Дозвонщик ZenUI, которую можно скачивать и обновлять через Google Play.
В разговорном динамике голос знакомого собеседника узнаваем, звук громкий, но слегка с присвистом, есть небольшие шипящие искажения. Есть возможность автоматической записи телефонных разговоров с линии, в некоторых модификациях смартфона поддерживается VoLTE. Виброзвонок ощутим слабо.
![]() |
![]() |
![]() |
![]() |
![]() |
![]() |
Смартфон умеет поддерживать в режиме активного ожидания обе SIM-карты в 3G/4G одновременно. То есть SIM-карта будет работать в 3G для голосовой связи, даже если для передачи данных в 4G назначена другая карта. Интерфейс позволяет выбрать для голосовых звонков и SMS определенную SIM-карту заранее. Работают карты в режиме Dual SIM Dual Standby, радиомодем здесь один.
![]() |
![]() |
![]() |
![]() |
Программное обеспечение и мультимедиа
В качестве программной платформы в Asus Zenfone 4 Max используется ОС Android свежей версии 7.1.1 и собственная фирменная оболочка Asus ZenUI. Интерфейс весьма подробный, настроить можно практически все, от назначения виртуальных кнопок и индикаторов до многооконного режима и жестов. И тем не менее, Asus ZenUI продолжает выглядеть слишком аляповато и хаотично, не хватает ей этакого лоска и стильной лаконичности.
![]() |
![]() |
![]() |
![]() |
![]() |
![]() |
Есть возможность работы со смартфоном одной рукой, когда вся рабочая площадь экрана уменьшается в размерах. Реализована широкая поддержка жестов: начертаниями символов осуществляется переход к определенным программам, поднесением к уху можно сразу активировать телефонный разговор и т. д.
Предустановленных приложений стало меньше, чем раньше. От клиентов соцсетей производитель избавляться не стал, а вот собственных программ для обработки фото и видео (PhotoCollage, ZenCircle, MiniMovie) в данном аппарате не нашлось. Тем не менее, остались малоинтересный чат ZenTalk, бьютификатор изображений Beautylive, а самая полезная программа здесь — многофункциональный Мобильный диспетчер, содержащий множество утилит для мониторинга и настройки работы системы в целом, от энергопотребления до функций обеспечения безопасности.
![]() |
![]() |
![]() |
![]() |
Для прослушивания музыки предназначен штатный проигрыватель Google Music с предустановками звуковых профилей («фильмы», «игры», «музыка», «улица» и т. д.) и возможностями ручной настройки эквалайзера. Звучит смартфон и в наушниках, и через динамик средне: звук не очень громкий, более-менее чистый, но не насыщенный, не яркий, да и низких частот практически нет.
Имеется предустановленный диктофон, микрофоны обладают хорошей чувствительностью и качественной системой фильтрации шумов, при записи лекций и интервью на диктофон можно положиться. FM-радио в смартфоне тоже имеется, работает только с подключенными в качестве внешней антенны проводными наушниками, не умеет вести запись программ с эфира.
![]() |
![]() |
![]() |
![]() |
Производительность
Аппаратная платформа Asus Zenfone 4 Max строится на однокристальной системе Qualcomm Snapdragon 425, выполненной по 28-нанометровой технологии. В состав этой SoC входят четыре 64-битных ядра ARM Cortex-A53 с частотой до 1,4 ГГц. За обработку графики отвечает GPU Adreno 308. Объем оперативной памяти составляет 2 ГБ, а встроенной флэш-памяти — 16 ГБ. Из них свободно около 9 ГБ хранилища и менее 500 МБ ОЗУ.
На этом месте стоит заметить, что в типичной для себя манере Asus выпускает одну и ту же модель на разных аппаратных платформах и с различным объемом памяти, что не очень хорошо для пользователя. Можно запутаться в модификациях и купить более слабую модель, чем собирался. Побывавшая у нас на тестировании модель как раз и является самой слабой, а существует модификация Zenfone 4 Max на платформе Snapdragon 430, где и видеоускоритель иной (Adreno 505), и памяти больше (3 ГБ ОЗУ, 32 ГБ флэша).
![]() |
![]() |
![]() |
![]() |
Есть возможность расширения встроенной памяти за счет установки карт microSD, и для этого не придется вынимать одну из SIM-карт. На практике наша проверочная карта Transcend Premium microSDXC UHS-1 объемом 128 ГБ уверенно распозналась устройством. Устанавливать и переносить приложения на карту памяти нельзя, аппарат предлагает отформатировать карту только в качестве хранилища для медиафайлов.
![]() |
![]() |
По результатам тестов платформа Qualcomm Snapdragon 425 ожидаемо оказалась существенно медленнее остальных популярных на текущий момент мобильных платформ среднего и нижнего уровня, таких как MediaTek Helio P10, Kirin 655 и тем более Snapdragon 625. В комплексном тесте AnTuTu Snapdragon 425 набрала менее 40К очков. Более того, протестированная нами модификация Asus Zenfone 4 Max оказалась во всех тестах слабее, чем Asus Zenfone 3 Max из предыдущего поколения. Модификация на Snapdragon 430, возможно, будет выглядеть чуть более достойно.
Qualcomm Snapdragon 425 — это решение даже не среднего, а ниже среднего уровня. Впрочем, в реальных сценариях использования данной SoC пока хватает для выполнения основных задач. но вот требовательные игры, такие как Modern Kombat X например, притормаживают. Видеоускоритель, используемый в данной SoC, не поддерживает OpenGL 3.1, поэтому наиболее показательные и актуальные графические тесты на данном аппарате просто не запускаются. Запаса мощности на будущие обновления у героя обзора точно нет.


Тестирование в комплексных тестах AnTuTu и GeekBench:
Все результаты, полученные нами при тестировании смартфона в самых свежих версиях популярных бенчмарков, мы для удобства свели в таблицы. В таблицу обычно добавляется несколько других аппаратов из различных сегментов, также протестированных на аналогичных последних версиях бенчмарков (это делается лишь для наглядной оценки полученных сухих цифр). К сожалению, в рамках одного сравнения нельзя представить результаты из разных версий бенчмарков, поэтому «за кадром» остаются многие достойные и актуальные модели — по причине того, что они в свое время проходили «полосу препятствий» на предыдущих версиях тестовых программ.
| Asus Zenfone 4 Max (Qualcomm Snapdragon 425) |
Asus Zenfone 3 Max (MediaTek MT6737) |
HTC One X10 (MediaTek Helio P10 (MT6755)) |
Honor 6X (HiSilicon Kirin 655) |
Asus Zenfone 3 (Qualcomm Snapdragon 625) |
|
| AnTuTu (v6.x) (больше — лучше) |
36986 | 40277 | 50597 | 56991 | 63146 |
| GeekBench (v4.x) (больше — лучше) |
681/1862 | 662/1617 | 757/2071 | 787/3300 | 831/4092 |
![]() |
![]() |
Тестирование графической подсистемы в игровых тестах 3DMark, GFXBenchmark и Bonsai Benchmark:
При тестировании в 3DMark для самых производительных смартфонов теперь есть возможность запускать приложение в режиме Unlimited, где разрешение рендеринга фиксировано на 720p и отключен VSync (из-за чего скорость может подниматься выше 60 fps).
| Asus Zenfone 4 Max (Qualcomm Snapdragon 425) |
Asus Zenfone 3 Max (MediaTek MT6737) |
HTC One X10 (MediaTek Helio P10 (MT6755)) |
Honor 6X (HiSilicon Kirin 655) |
Asus Zenfone 3 (Qualcomm Snapdragon 625) |
|
| 3DMark Ice Storm Sling Shot ES 3.1 (больше — лучше) |
— | 174 | 421 | 378 | 466 |
| GFXBenchmark Manhattan ES 3.1 (Onscreen, fps) | — | — | 5 | 5 | 6 |
| GFXBenchmark Manhattan ES 3.1 (1080p Offscreen, fps) | — | 3 | 5 | 5 | 6 |
| GFXBenchmark T-Rex ES 2.0 (Onscreen, fps) | 14 | 19 | 17 | 19 | 22 |
| GFXBenchmark T-Rex ES 2.0 (1080p Offscreen, fps) | 8 | 11 | 17 | 19 | 23 |
![]() |
![]() |
Браузерные кросс-платформенные тесты:
Что касается бенчмарков для оценки скорости движка javascript, то стоит всегда делать скидку на то, что в них результаты существенно зависят от браузера, в котором запускаются, так что сравнение может быть истинно корректным только на одинаковых ОС и браузерах, а такая возможность имеется при тестировании не всегда. В случае с ОС Android мы всегда стараемся использовать Google Chrome.
| Asus Zenfone 4 Max (Qualcomm Snapdragon 425) |
Asus Zenfone 3 Max (MediaTek MT6737) |
HTC One X10 (MediaTek Helio P10 (MT6755)) |
Honor 6X (HiSilicon Kirin 655) |
Asus Zenfone 3 (Qualcomm Snapdragon 625) |
|
| Mozilla Kraken (мс, меньше — лучше) |
12367 | 11432 | 9992 | 9587 | 8179 |
| Google Octane 2 (больше — лучше) |
2834 | 3532 | 3928 | 4428 | 5036 |
| SunSpider (мс, меньше — лучше) |
2062 | 1516 | 1104 | 1084 | 877 |
![]() |
![]() |

Результаты теста AndroBench на скорость работы с памятью:

Теплоснимки
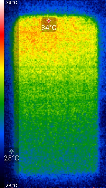
Ниже приведен теплоснимок задней поверхности, полученный после 10 минут работы теста аккумулятора в программе GFXBenchmark:

Нагрев больше локализован в верхней части аппарата, что, видимо, соответствует расположению микросхемы SoC. По данным теплокамеры, максимальный нагрев составил всего 34 градуса (при температуре окружающего воздуха в 24 градуса), это несущественный нагрев.
Воспроизведение видео
Для тестирования «всеядности» при воспроизведении видео (включая поддержку различных кодеков, контейнеров и специальных возможностей, например субтитров) нами применялись наиболее распространенные форматы, которые составляют основную массу имеющегося в Сети контента. Заметим, что для мобильных устройств важно иметь поддержку аппаратного декодирования видеороликов на уровне чипа, поскольку обработать современные варианты за счет одних лишь процессорных ядер чаще всего невозможно. Также не стоит ждать от мобильного устройства декодирования всего-всего, поскольку лидерство по гибкости принадлежит ПК, и никто не собирается его оспаривать. Все результаты сведены в таблицу.
| Формат | Контейнер, видео, звук | MX Video Player | Штатный видеоплеер |
| 1080p H.264 | MKV, H.264 1920×1080, 24 fps, AAC | воспроизводится нормально | воспроизводится нормально |
| 1080p H.264 | MKV, H.264 1920×1080, 24 fps, AC3 | воспроизводится нормально | не воспроизводится |
| 1080p H.265 | MKV, H.265 1920×1080, 24 fps, AAC | воспроизводится нормально | воспроизводится нормально |
| 1080p H.265 | MKV, H.265 1920×1080, 24 fps, AC3 | воспроизводится нормально | не воспроизводится |
Дальнейшее тестирование воспроизведения видео выполнил Алексей Кудрявцев.
Интерфейса MHL, как и Mobility DisplayPort, мы в данном смартфоне не обнаружили, поэтому пришлось ограничиться тестированием вывода изображения видеофайлов на экран самого устройства. Для этого мы использовали набор тестовых файлов с перемещающимися на одно деление за кадр стрелкой и прямоугольником (см. «Методика тестирования устройств воспроизведения и отображения видеосигнала. Версия 1 (для мобильных устройств)»). Снимки экрана с выдержкой в 1 с помогли определить характер вывода кадров видеофайлов с различными параметрами: варьировались разрешение (1280 на 720 (720p), 1920 на 1080 (1080p) и 3840 на 2160 (4K) пикселей) и частота кадров (24, 25, 30, 50 и 60 кадр/с). В тестах мы использовали видеоплеер MX Player в режиме «Аппаратный». Результаты теста сведены в таблицу:
| Файл | Равномерность | Пропуски |
| 4К/60p (H.265) | не воспроизводится | |
| 4К/50p (H.265) | не воспроизводится | |
| 4К/30p (H.265) | не воспроизводится | |
| 4К/25p (H.265) | не воспроизводится | |
| 4К/24p (H.265) | не воспроизводится | |
| 4К/30p | не воспроизводится | |
| 4К/25p | не воспроизводится | |
| 4К/24p | не воспроизводится | |
| 1080/60p | не воспроизводится | |
| 1080/50p | не воспроизводится | |
| 1080/30p | отлично | нет |
| 1080/25p | отлично | нет |
| 1080/24p | отлично | нет |
| 720/60p | отлично | нет |
| 720/50p | хорошо | нет |
| 720/30p | отлично | нет |
| 720/25p | отлично | нет |
| 720/24p | отлично | нет |
Примечание: Если в обоих столбцах Равномерность и Пропуски выставлены зеленые оценки, то это означает, что, скорее всего, при просмотре фильмов артефактов, вызванных неравномерным чередованием и пропуском кадров, или не будет видно совсем, или их количество и заметность не будет влиять на комфортность просмотра. Красные отметки указывают на возможные проблемы, связанные с воспроизведением соответствующих файлов.
По критерию вывода кадров качество воспроизведения видеофайлов на экране самого смартфона хорошее, так как в большинстве случаев кадры (или группы кадров) могут (но не обязаны) выводиться с более-менее равномерным чередованием интервалов и без пропусков кадров. При воспроизведении видеофайлов с разрешением 1280 на 720 пикселей (720p) на экране смартфона изображение собственно видеофайла выводится точно по границе экрана, один к одному по пикселям, то есть в исходном разрешении. Отображаемый на экране диапазон яркости соответствует стандартному диапазону 16—235: в светах всего пара оттенков сливается с белым, а в тенях отображаются все градации оттенков.
Время автономной работы
Несъемная аккумуляторная батарея, установленная в Asus Zenfone 4 Max, имеет очень серьезную емкость в 5000 мА·ч. Однако смартфон может похвастать не только огромной батареей, но и поддержкой эксклюзивного комплекса интеллектуальных технологий управления питанием Asus PowerMaster. По заверениям разработчиков, время автономной работы Asus Zenfone 4 Max достигает 46 дней в режиме ожидания в сетях LTE, до 40 часов — в режиме разговора в сетях 3G, до 22 часов — в режиме воспроизведения видео (720p), и до 26 часов — при просмотре веб-сайтов по сети Wi-Fi.
В реальном тестировании аппарат действительно проявил чудеса долгожительства, результаты автономности практически рекордны для смартфона. Пожалуй, это главная сильная сторона героя обзора, тем более что сильных сторон у него вообще не так много.
Тестирование традиционно проводилось на обычном уровне энергопотребления без использования функций энергосбережения.
| Емкость аккумулятора | Режим чтения | Режим видео | Режим 3D-игр | |
| Asus Zenfone 4 Max | 5000 мА·ч | 33 ч. 00 м. | 18 ч. 30 м. | 10 ч. 00 м. |
| Asus Zenfone 3 Max | 4130 мА·ч | 15 ч. 50 м. | 11 ч. 00 м. | 5 ч. 20 м. |
| HTC One X10 | 4000 мА·ч | 17 ч. 00 м. | 12 ч. 00 м. | 5 ч. 00 м. |
| Honor 6X | 3340 мА·ч | 15 ч. 00 м. | 10 ч. 20 м. | 4 ч. 40 м. |
| Asus Zenfone 3 | 3000 мА·ч | 12 ч. 00 м. | 9 ч. 40 м. | 6 ч. 30 м. |
Беспрерывное чтение в программе Moon+ Reader (со стандартной, светлой темой) при минимальном комфортном уровне яркости (яркость была выставлена на 100 кд/м²) с автолистанием длилось до полного разряда аккумулятора 33 часа, а при беспрерывном просмотре видео в высоком качестве (720р) с тем же уровнем яркости через домашнюю сеть Wi-Fi аппарат функционирует 18,5 часов. В режиме 3D-игр смартфон может проработать до 10 часов, но тут, естественно, стоит учитывать, что столь долгое время достигается за счет низкого разрешения экрана и не максимальных настроек графики в играх.
От комплектного сетевого адаптера смартфон заряжается примерно в течение 3 часов 15 минут током 2 А при напряжении 5 В. Беспроводная зарядка не поддерживается.
Этот смартфон можно использовать в качестве мобильного зарядного устройства для других гаджетов. Он обеспечивает высокую мощность подзарядки внешних устройств (5 В 1 А), при этом его фирменный программный комплекс следит за тем, чтобы уровень заряда собственной батареи не опускался ниже 30%.
Итог
Asus Zenfone 4 Max с середины лета представлен в официальной российской рознице по цене 14 тысяч рублей за младшую модификацию. Аппарат не хватает звезд с небес, не поражает мощью своей аппаратной платформы, но демонстрирует вполне сбалансированный набор характеристик и возможностей для среднего уровня. У него неплохой крупный экран, удовлетворительный (по самой нижней границе) набор коммуникационных модулей. Главная же особенность смартфона — очень высокий уровень автономности. Asus Zenfone 4 Max — одно из самых привлекательных мобильных устройств для тех, кто нуждается в первую очередь в долгом времени работы без подзарядки. По этому показателю неприхотливый аппарат в надежном металлическом корпусе действительно хорош.


































































































































































